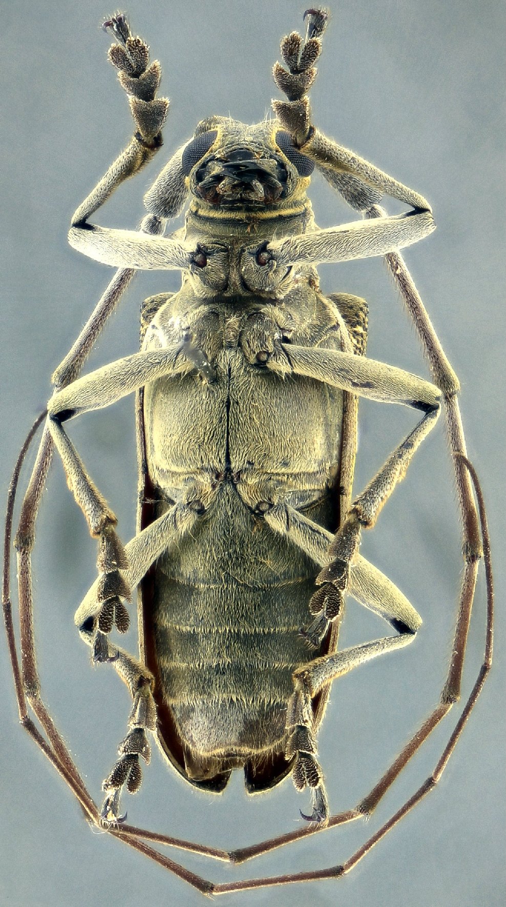
_SS_Botero_FSCA_Los_Tuxtlas_UNAM_VC_Mex.jpg)
Specimen Type: holotype Sex: m Institution: FSCA Florida State Collection of Arthropods, Gainesville, FL, USA Photographer: Antonio Santos-Silva Collection Location: Los Tuxtlas (UNAM), Veracruz, Mexico 66261
|
_SS_Botero_FSCA_Los_Tuxtlas_UNAM_VC_Mex.jpg)
Specimen Type: holotype Sex: m Institution: FSCA Florida State Collection of Arthropods, Gainesville, FL, USA Photographer: Antonio Santos-Silva Collection Location: Los Tuxtlas (UNAM), Veracruz, Mexico 66262
|
_SS_Botero_FSCA_Los_Tuxtlas_UNAM_VC_Mex.jpg)
Specimen Type: holotype Sex: m Institution: FSCA Florida State Collection of Arthropods, Gainesville, FL, USA Photographer: Antonio Santos-Silva Collection Location: Los Tuxtlas (UNAM), Veracruz, Mexico 66263
|
_SS_Botero_FSCA_Los_Tuxtlas_UNAM_VC_Mex.jpg)
Specimen Type: holotype Sex: m Institution: FSCA Florida State Collection of Arthropods, Gainesville, FL, USA Photographer: Antonio Santos-Silva Collection Location: Los Tuxtlas (UNAM), Veracruz, Mexico 66264
|
_SS_Botero_MZSP_Los_Tuxtlas_UNAM_VC_Mex.jpg)
Specimen Type: paratype Sex: f Institution: MZSP Museu de Zoologia da Universidade de São Paulo, Brazil Photographer: Antonio Santos-Silva Collection Location: Los Tuxtlas (UNAM), Veracruz, Mexico 66265
|
|