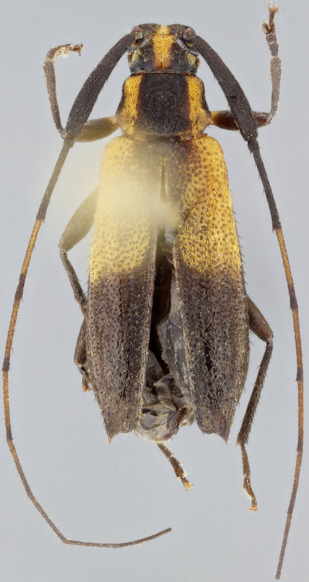
_SS_Gal_McClarin_MZSP_Itauba_Rio_Grande_doSul_Braz.jpg)
Specimen Type: holotype Sex: f Institution: MZSP Museu de Zoologia da Universidade de São Paulo, Brazil Photographer: Antonio Santos-Silva Collection Location: Itauba, Rio Grand do Sul, Brazil 66042
|
_SS_Gal_McClarin_MZSP_Itauba_Rio_Grande_doSul_Braz.jpg)
Specimen Type: holotype Sex: f Institution: MZSP Museu de Zoologia da Universidade de São Paulo, Brazil Photographer: Antonio Santos-Silva Collection Location: Itauba, Rio Grand do Sul, Brazil 66043
|
_SS_Gal_McClarin_MZSP_Itauba_Rio_Grande_doSul_Braz.jpg)
Specimen Type: holotype Sex: f Institution: MZSP Museu de Zoologia da Universidade de São Paulo, Brazil Photographer: Antonio Santos-Silva Collection Location: Itauba, Rio Grand do Sul, Brazil 66044
|
_SS_Gal_McClarin_MZSP_Itauba_Rio_Grande_doSul_Braz.jpg)
Specimen Type: holotype Sex: f Institution: MZSP Museu de Zoologia da Universidade de São Paulo, Brazil Photographer: Antonio Santos-Silva Collection Location: Itauba, Rio Grand do Sul, Brazil 66045
|
|