 Vives Coll Aurora, Sierra Madre, Luzon, Philippines.jpg)
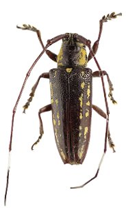
Specimen Type: holotype Sex: m Institution: Vives Collection Photographer: Eduard Vives Collection Location: Aurora, Sierra Madre, Luzon, Philippines 90265
|

Institution: DUBC Daugavpils University, Coleopterological Research Center, Latvia Photographer: Barševskis Collection Location: Ditumabo, Sierra Madre, Luzon, Philippines 71215
|