New Search Family, Subfamily and Tribe List

SubFamily Lepturinae

Tribe Rhagiini
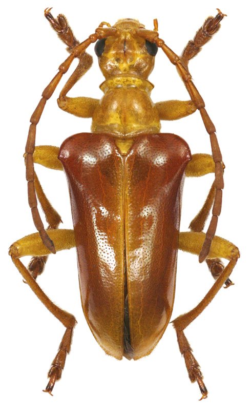
Rhondia petrae Viktora & Liu 2018

Specimen Type: holotype
Sex: m
Institution: Bin Liu Collection
Photographer: Bin Liu
Collection Location: Shuanglawa Village, Heiwadi, Mt Gaoligongshan, Yunnan, China
65261

130425