New Search Family, Subfamily and Tribe List

SubFamily Cerambycinae

Tribe Achrysonini
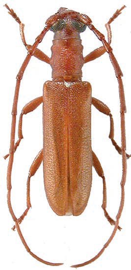
Neachryson nudum Holzschuh 2016

Specimen Type: holotype
Sex: m
Institution: Holzschuh Collection
Photographer: Luboš Dembický
Collection Location: Thong Khan, Louangphrabang, N Laos
65160

130425