_Ravin_SWL_NMNH_La_Comparticion_LaVega_Prov_Dom_Rep.jpg)
Specimen Type: holotype Sex: m Institution: NMNH United States National Museum, Washington, DC, USA Photographer: Steve Lingafelter Collection Location: La Comparticion, La Vega Province, Dominican Republic 64847
|
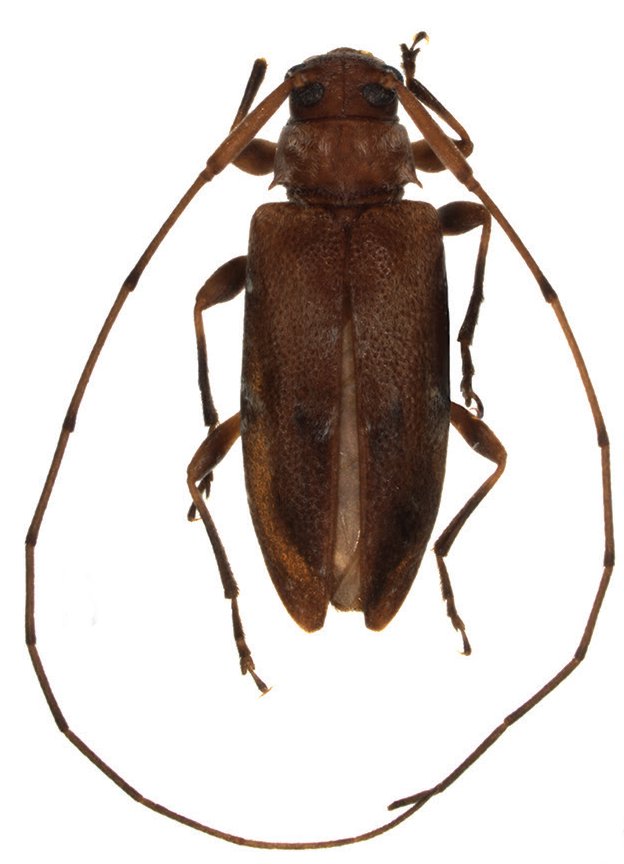
_Ravin_SWL_NMNH_La_Comparticion_LaVega_Prov_DomRep_VictoriaKulhanek.jpg)
Specimen Type: holotype Sex: m Institution: NMNH United States National Museum, Washington, DC, USA Photographer: Victoria Kulhanek Collection Location: La Comparticion, La Vega Province, Dominican Republic 64848
|