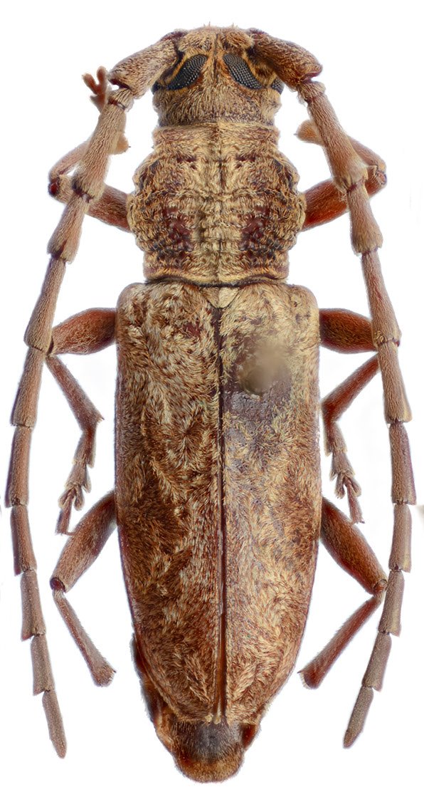
_Gardner_BMNH_S_Mangaloe_Madras_India_now_Tapinolachnus_Keita_Matushita_pic.jpg)
Specimen Type: lectotype Sex: m Institution: BMNH British Museum Natural History, London, UK Photographer: Keita Matsumoto Collection Location: S Mangalore, Madras, India 64370
|
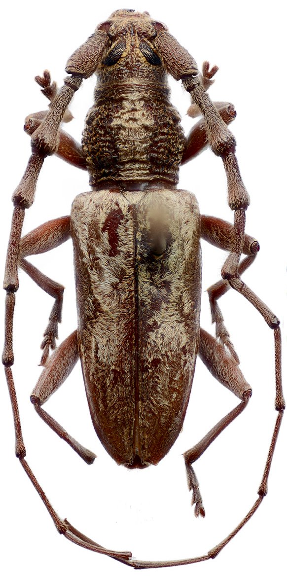
_Gardner_BMNH_S_Mangaloe_Madras_India_now_Tapinolachnus_Keita_Matushita_pic.jpg)
Specimen Type: paralectotype Sex: f Institution: BMNH British Museum Natural History, London, UK Photographer: Keita Matsumoto Collection Location: Sappal, Palghat, Madras, India 64371
|
_Gardner_MBNH_Mangalore_Madras_India_Mirosh.jpg)
Specimen Type: lectotype Sex: m Institution: BMNH British Museum Natural History, London, UK Photographer: Miroshnikov Collection Location: Mangalore, Madras, India 70782
|
_Gardner_BMNH_Sappal_Palghat_Madras_India_Mirosh.jpg)
Specimen Type: paralectotype Sex: f Institution: BMNH British Museum Natural History, London, UK Photographer: Miroshnikov Collection Location: Sappal, Palghat, Madras, India 70783
|
|