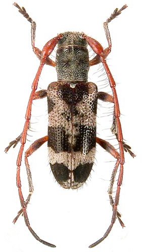
 Holzschuh coll Tram Ton, Hoang Lien NP, Lao Cai Prov, Vietnam LD.jpg)
Specimen Type: holotype Sex: m Institution: Holzschuh Collection Photographer: Lubo Dembický Collection Location: Tram Ton, Hoang Lien Nat'l Park, Lao Cai Province, Vietnam 76251
|
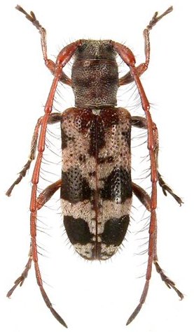
 Holzschuh coll Tram Ton, Hoang Lien NP, Lao Cai Prov, Vietnam LD.jpg)
Specimen Type: paratype Sex: f Institution: Holzschuh Collection Photographer: Lubo Dembický Collection Location: Tram Ton, Hoang Lien Nat'l Park, Lao Cai Province, Vietnam 76252
|
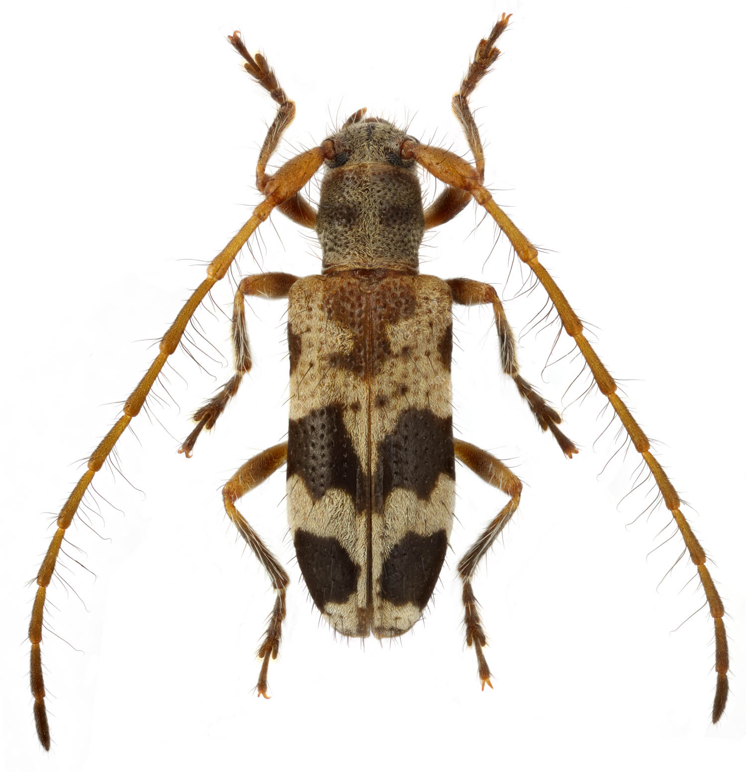
_Holzschuh_Sa_Pa_Vietnam_det_XG_Smirnov_pic.jpg)
Sex: f Photographer: Max Smirnov, Cerambycoidea Forum Determiner: Xavier Gouverneur, Cerambycoidea Forum Collection Location: Sa Pa, N Vietnam 64389
|
|