_Nasc_SS_MZSP_Itu_Fazenda_Pau_d-Alho_SP_Braz.jpg)
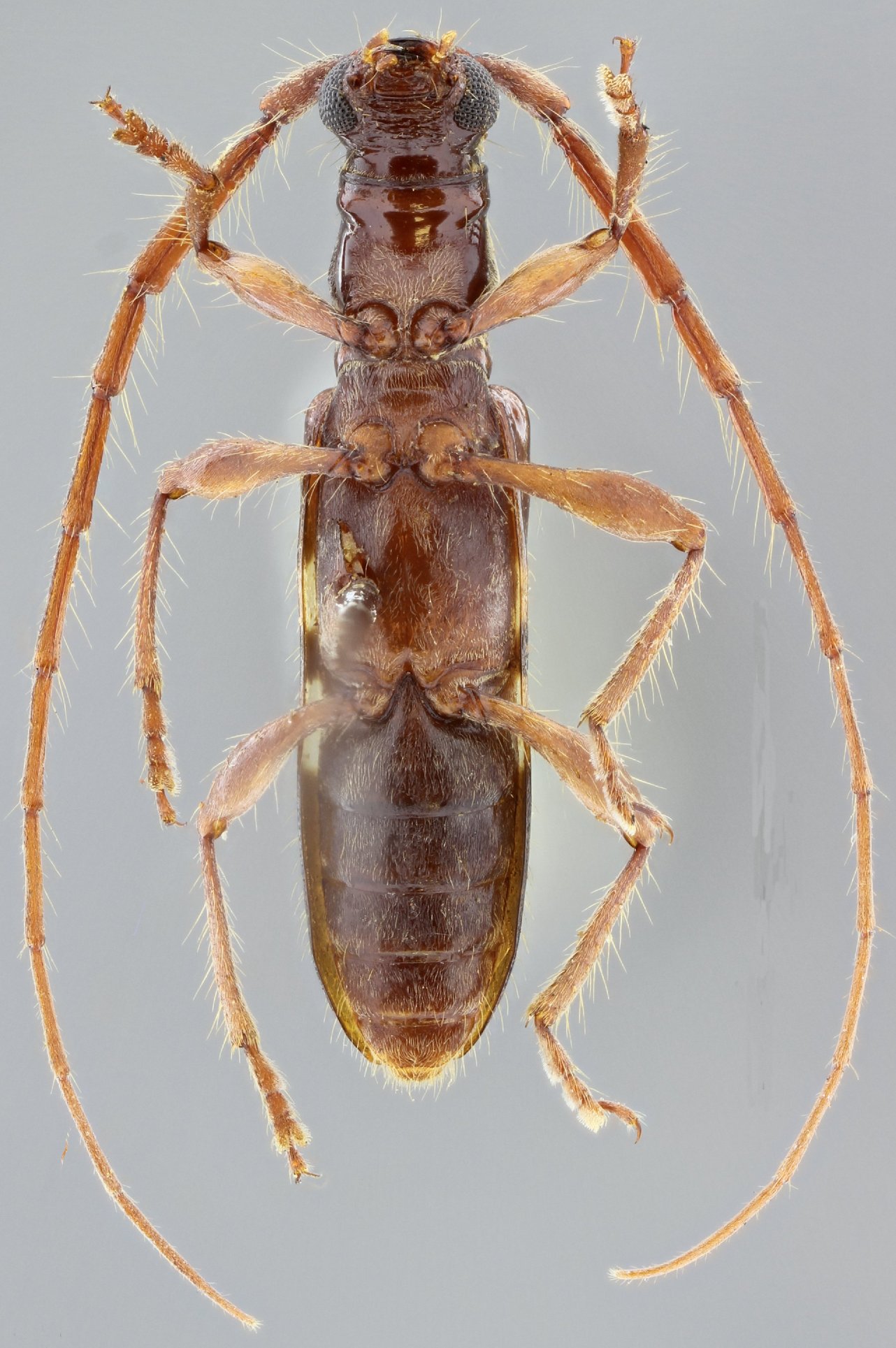
Specimen Type: holotype Sex: m Institution: MZSP Museu de Zoologia da Universidade de São Paulo, Brazil Photographer: Antonio Santos-Silva Collection Location: Itu, Fazenda Pau d'Alho, Sao Paolo, Brazil 64735
|
_Nasc_SS_MZSP_Itu_Fazenda_Pau_d-Alho_SP_Braz.jpg)
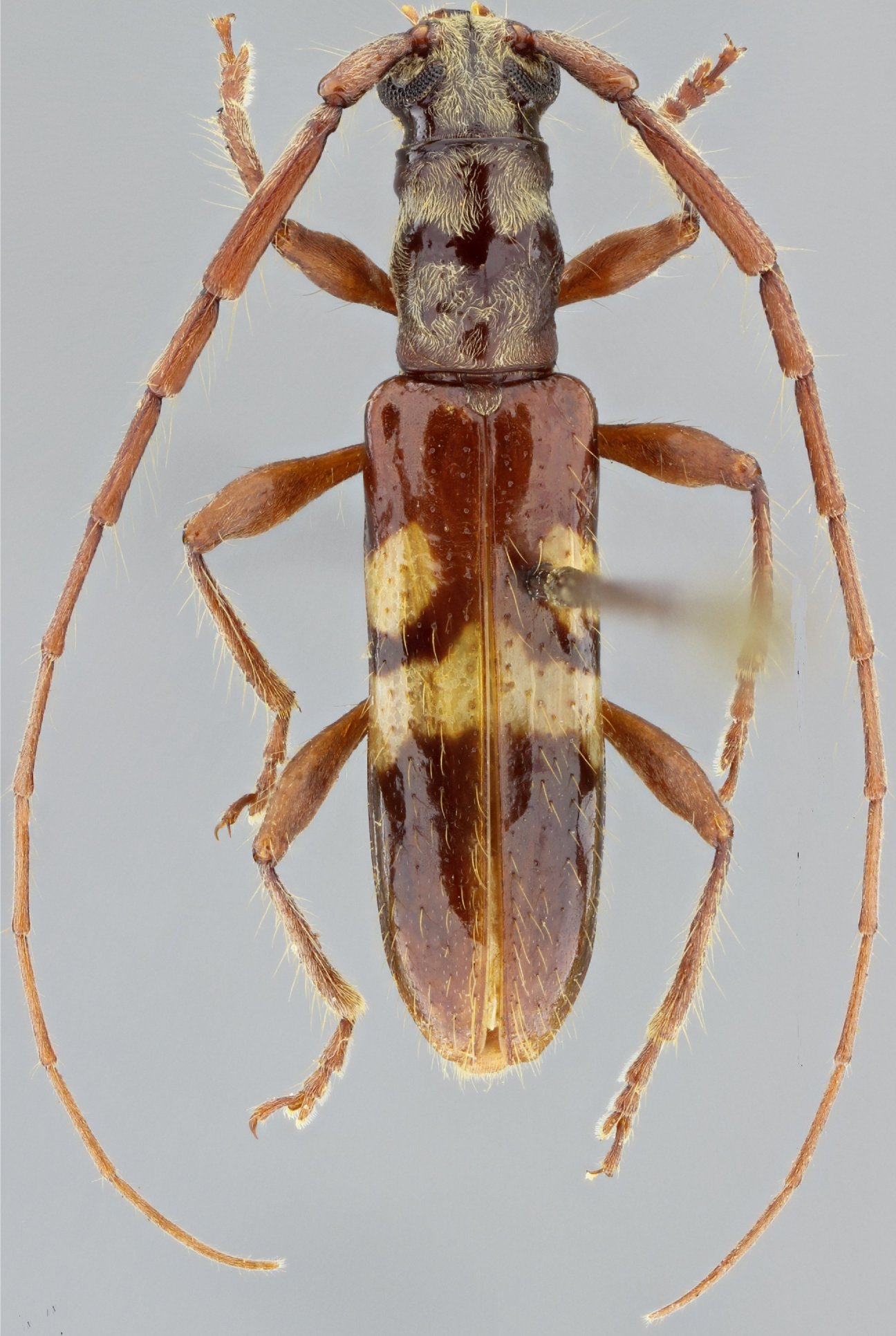
Specimen Type: holotype Sex: m Institution: MZSP Museu de Zoologia da Universidade de São Paulo, Brazil Photographer: Antonio Santos-Silva Collection Location: Itu, Fazenda Pau d'Alho, Sao Paolo, Brazil 64736
|
_Nasc_SS_MZSP_Itu_Fazenda_Pau_d-Alho_SP_Braz.jpg)
Specimen Type: holotype Sex: m Institution: MZSP Museu de Zoologia da Universidade de São Paulo, Brazil Photographer: Antonio Santos-Silva Collection Location: Itu, Fazenda Pau d'Alho, Sao Paolo, Brazil 64737
|
_Nasc_SS_MZSP_Itu_Fazenda_Pau_d-Alho_SP_Braz.jpg)
Specimen Type: holotype Sex: m Institution: MZSP Museu de Zoologia da Universidade de São Paulo, Brazil Photographer: Antonio Santos-Silva Collection Location: Itu, Fazenda Pau d'Alho, Sao Paolo, Brazil 64738
|
|