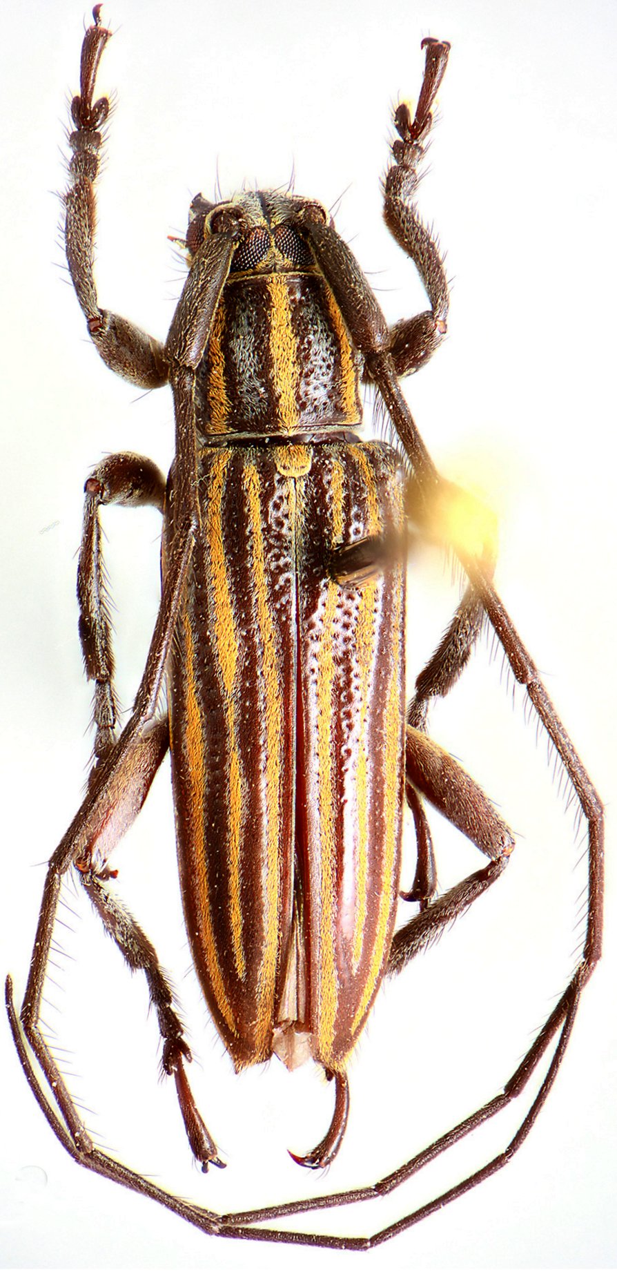
_Joly_Tav_SS_Gal_MIZA_Portachuelo_Rancho_Gr_Arag_Venez_Joly.jpg)
Specimen Type: holotype Sex: m Institution: MIZA Museuo del Instituto de Zoología Agrícola, Maracay, Venezuela Photographer: Luis Joly Collection Location: Portachuelo, Rancho Grande, Aragua, Venezuela 64300
|
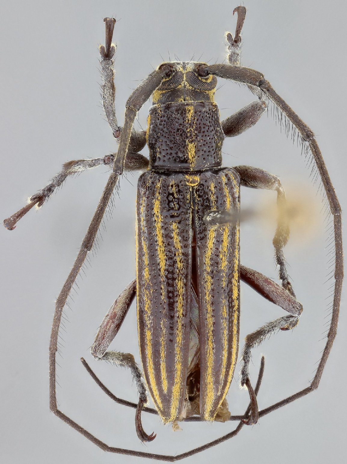
_Joly_Tav_SS_Gal_Venezuela.jpg)
Specimen Type: paratype Sex: m Institution: MZSP Museu de Zoologia da Universidade de São Paulo, Brazil Photographer: Antonio Santos-Silva Collection Location: Venezuela 64301
|
_Joly_Tav_SS_Gal_Venezuela.jpg)
Specimen Type: paratype Sex: m Institution: MZSP Museu de Zoologia da Universidade de São Paulo, Brazil Photographer: Antonio Santos-Silva Collection Location: Venezuela 64302
|
_Joly_Tav_SS_Gal_Venezuela.jpg)
Specimen Type: paratype Sex: m Institution: MZSP Museu de Zoologia da Universidade de São Paulo, Brazil Photographer: Antonio Santos-Silva Collection Location: Venezuela 64303
|
_Joly_Tav_SS_Gal_Venezuela.jpg)
Specimen Type: paratype Sex: m Institution: MZSP Museu de Zoologia da Universidade de São Paulo, Brazil Photographer: Antonio Santos-Silva Collection Location: Venezuela 64304
|
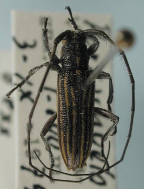
_MZSP_Portachuelo_Aragua_Venez.jpg)
Specimen Type: paratype Institution: MZSP Museu de Zoologia da Universidade de São Paulo, Brazil Photographer: Larry G. Bezark Collection Location: Portachuelo, Aragua, Venezuela 33814
|