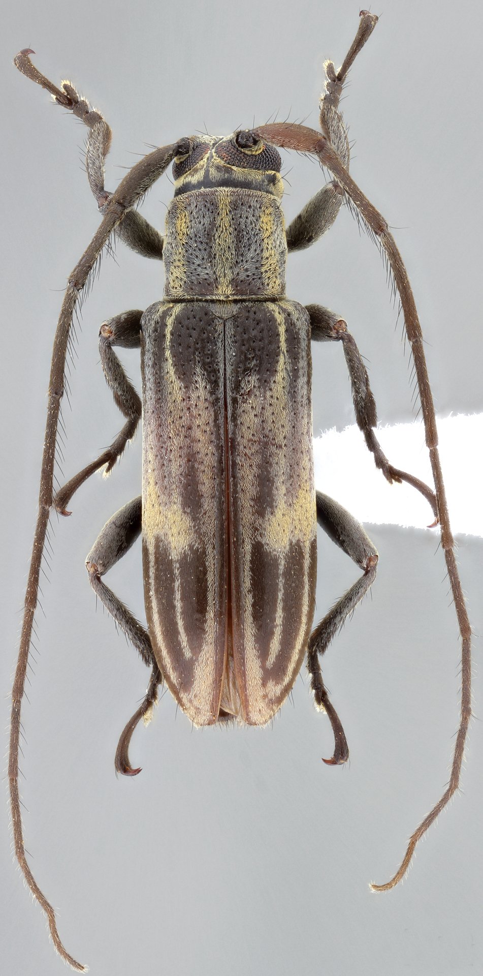
_SS_Gal_MNHN_Kaw_Fr_Guiana_Tava.jpg)
Specimen Type: holotype Sex: f Institution: MNHN Museum of Natural History Paris, France Photographer: Gerard Tavakilian Collection Location: Kaw, French Guiana 64271
|
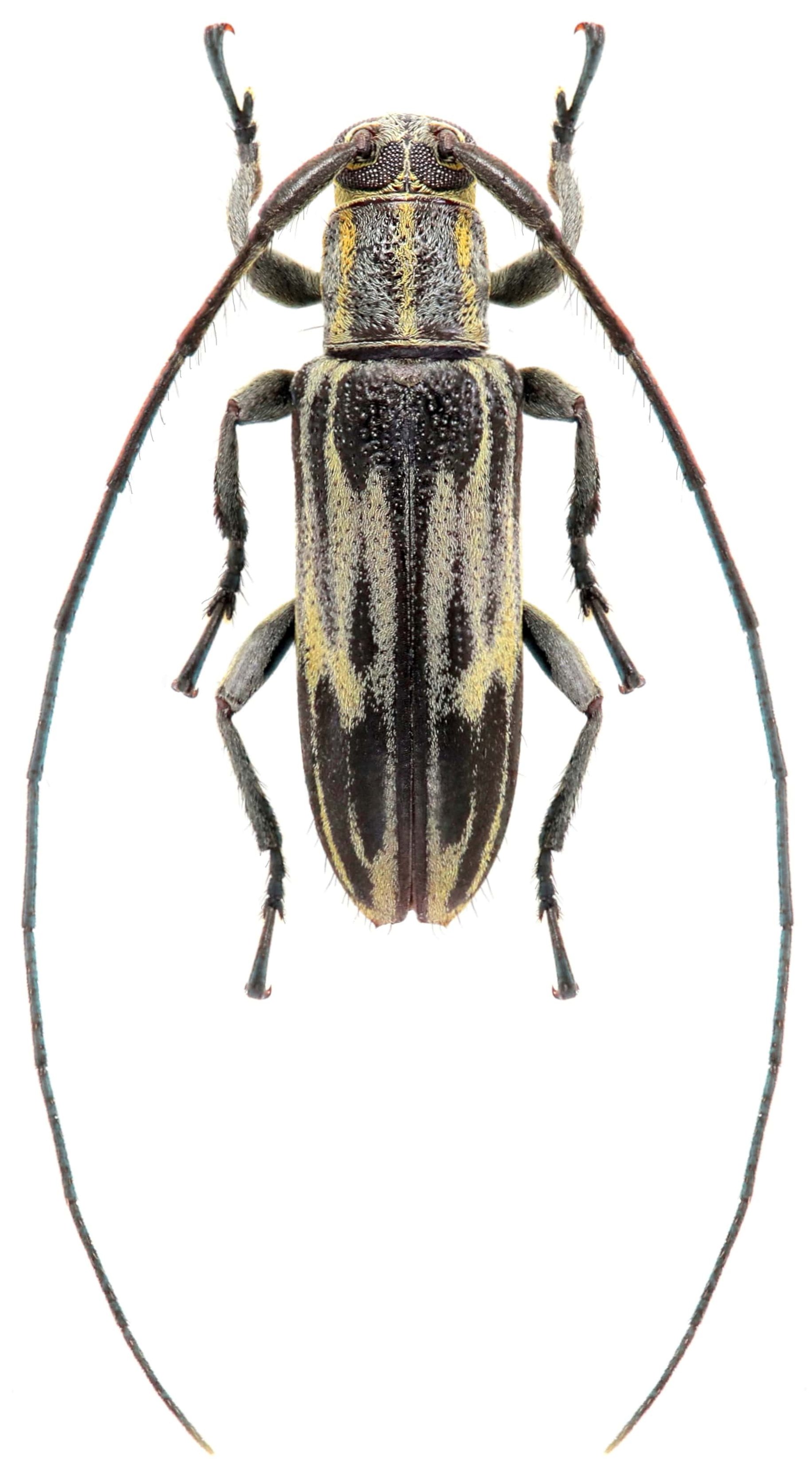
_SS_Gal_MNHN_Kaw_Fr_Guiana_Tava.jpg)
Specimen Type: holotype Sex: f Institution: MNHN Museum of Natural History Paris, France Photographer: Gerard Tavakilian Collection Location: Kaw, French Guiana 64272
|
_SS_Gal_MNHN_Kaw_Fr_Guiana_Tava.jpg)
Specimen Type: holotype Sex: f Institution: MNHN Museum of Natural History Paris, France Photographer: Gerard Tavakilian Collection Location: Kaw, French Guiana 64273
|
_SS_Gal_MNHN_Kaw_Fr_Guiana_Tava.jpg)
Specimen Type: holotype Sex: f Institution: MNHN Museum of Natural History Paris, France Photographer: Gerard Tavakilian Collection Location: Kaw, French Guiana 64274
|
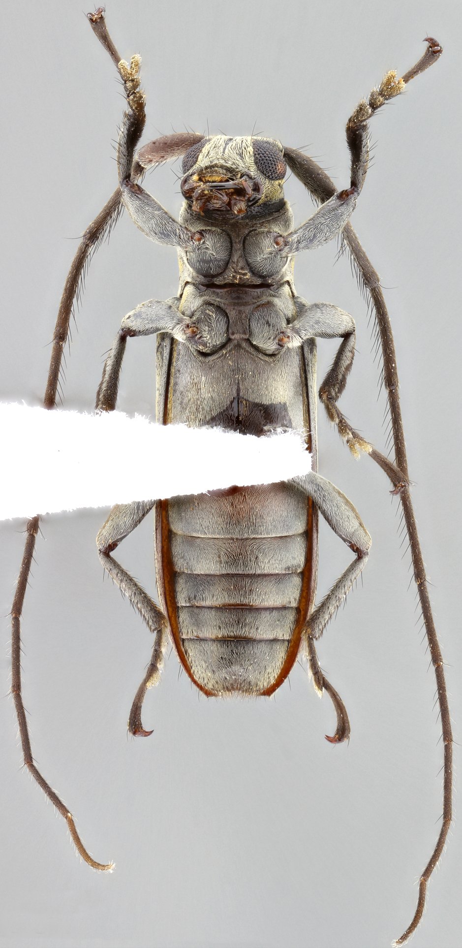
 SS G Montagne des Chevaux, French Guiana Robin.jpg)
Sex: m Photographer: Frédéric Robin Collection Location: Montagne des Chevaux, French Guiana 80560
|
|