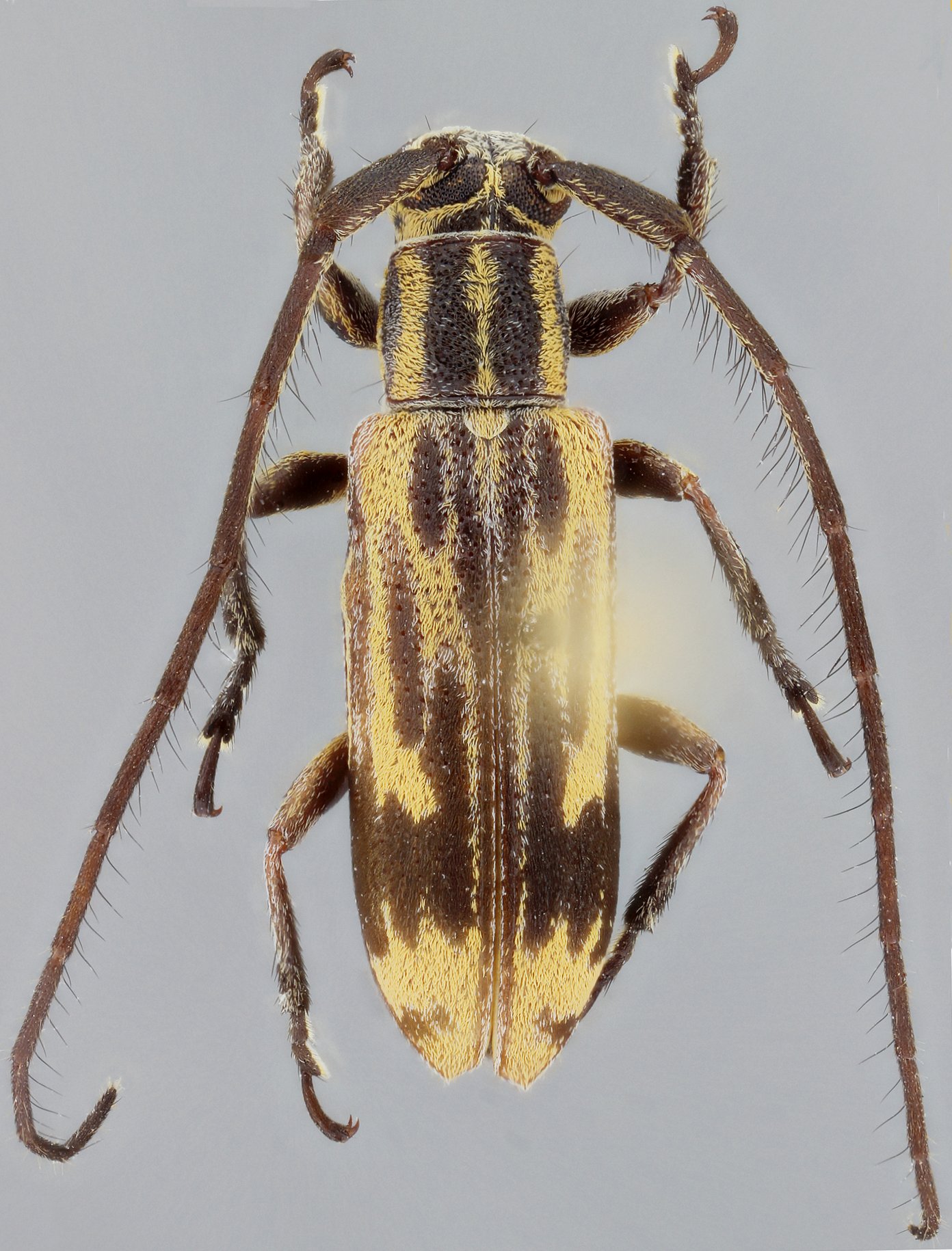
_SS_Gal_MNKM_Buena_Vista_SC_Bolivia.jpg)
Specimen Type: holotype Sex: f Institution: MNKM Museo de Hist Nat Noel Kempff Mercado Santa Cruz de la Sierra, Bolivia Photographer: Antonio Santos-Silva Collection Location: Buena Vista, Santa Cruz, Bolivia 64255
|
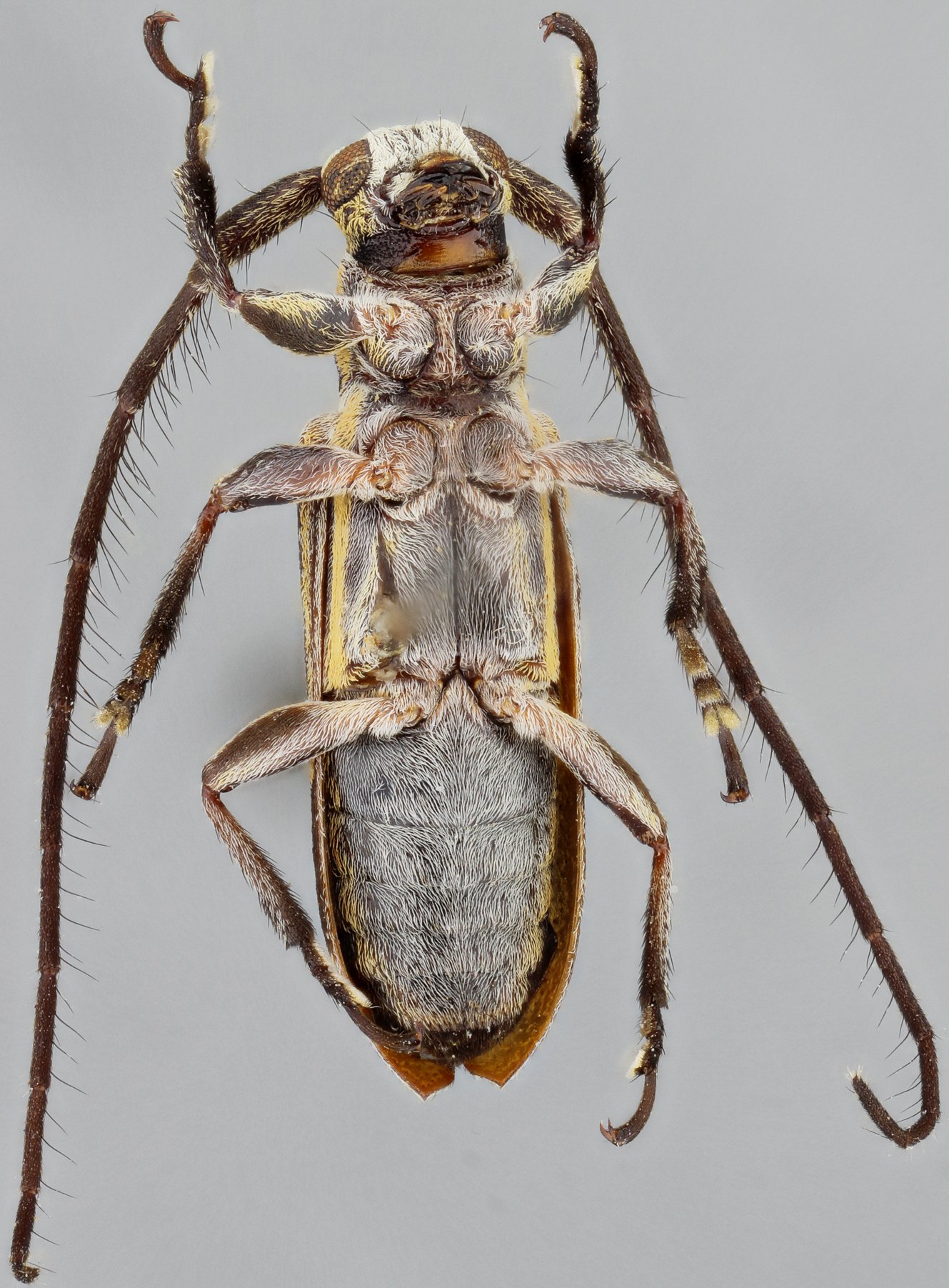
_SS_Gal_MNKM_Buena_Vista_SC_Bolivia.jpg)
Specimen Type: holotype Sex: f Institution: MNKM Museo de Hist Nat Noel Kempff Mercado Santa Cruz de la Sierra, Bolivia Photographer: Antonio Santos-Silva Collection Location: Buena Vista, Santa Cruz, Bolivia 64256
|
_SS_Gal_MNKM_Buena_Vista_SC_Bolivia.jpg)
Specimen Type: holotype Sex: f Institution: MNKM Museo de Hist Nat Noel Kempff Mercado Santa Cruz de la Sierra, Bolivia Photographer: Antonio Santos-Silva Collection Location: Buena Vista, Santa Cruz, Bolivia 64257
|
_SS_Gal_MNKM_Buena_Vista_SC_Bolivia.jpg)
Specimen Type: holotype Sex: f Institution: MNKM Museo de Hist Nat Noel Kempff Mercado Santa Cruz de la Sierra, Bolivia Photographer: Antonio Santos-Silva Collection Location: Buena Vista, Santa Cruz, Bolivia 64258
|
|