_Tava_MNHN_Route_de_Kaw_pk39_Cayenne_Fr_G_Tav.jpg)
Specimen Type: holotype Sex: m Institution: MNHN Museum of Natural History Paris, France Photographer: Gerard Tavakilian Collection Location: Route de Kaw, pk 39, Cayenne, French Guiana 64239
|
_Tava_MNHN_Route_de_Kaw_pk39_Cayenne_Fr_G_Tav.jpg)
Specimen Type: holotype Sex: m Institution: MNHN Museum of Natural History Paris, France Photographer: Gerard Tavakilian Collection Location: Route de Kaw, pk 39, Cayenne, French Guiana 64240
|
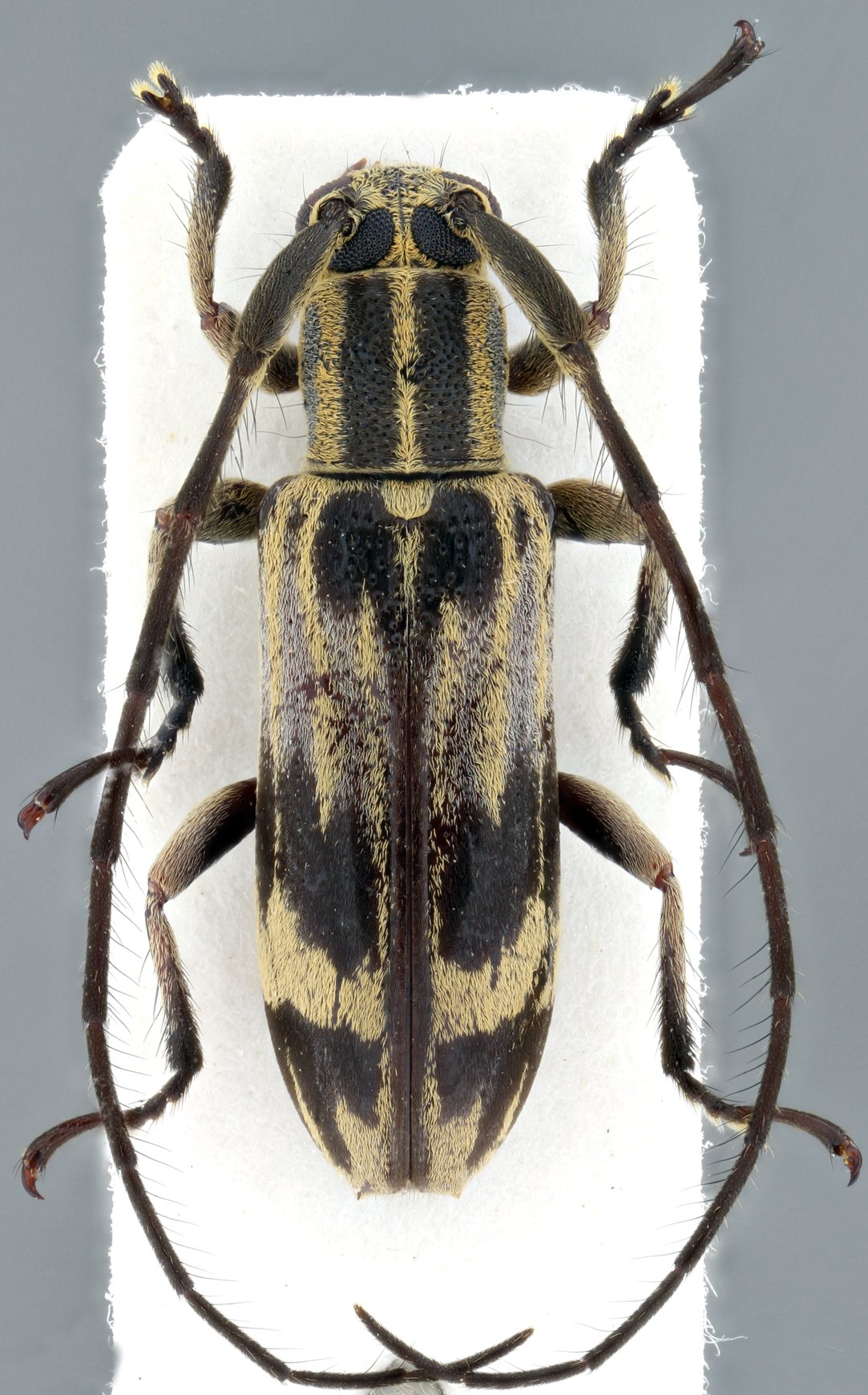
_Tava_MNHN_Route_de_Kaw_pk39_Cayenne_Fr_G_Tav.jpg)
Specimen Type: holotype Sex: m Institution: MNHN Museum of Natural History Paris, France Photographer: Gerard Tavakilian Collection Location: Route de Kaw, pk 39, Cayenne, French Guiana 64241
|
|