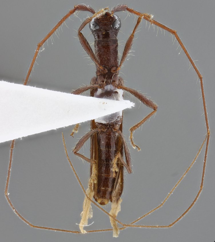
_Nascimento_Bravo_MZFS_Cachoeira_doPatricio_Piata_Bahia_Braz_SS.jpg)
Specimen Type: holotype Sex: m Institution: MZFS Universidade Estadual de Feira de Santana, Bahia State, Brazil Photographer: Antonio Santos-Silva Collection Location: Cachoeira do Patricio, Piata, Bahia, Brazil 64402
|
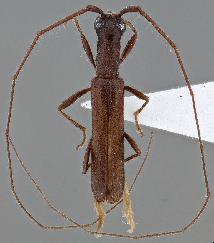
_Nascimento_Bravo_MZFS_Cachoeira_doPatricio_Piata_Bahia_Braz_SS.jpg)
Specimen Type: holotype Sex: m Institution: MZFS Universidade Estadual de Feira de Santana, Bahia State, Brazil Photographer: Antonio Santos-Silva Collection Location: Cachoeira do Patricio, Piata, Bahia, Brazil 64403
|
_Nascimento_Bravo_MZFS_Cachoeira_doPatricio_Piata_Bahia_Braz_SS.jpg)
Specimen Type: holotype Sex: m Institution: MZFS Universidade Estadual de Feira de Santana, Bahia State, Brazil Photographer: Antonio Santos-Silva Collection Location: Cachoeira do Patricio, Piata, Bahia, Brazil 64404
|
_Nascimento_Bravo_MZFS_Cachoeira_doPatricio_Piata_Bahia_Braz_SS.jpg)
Specimen Type: holotype Sex: m Institution: MZFS Universidade Estadual de Feira de Santana, Bahia State, Brazil Photographer: Antonio Santos-Silva Collection Location: Cachoeira do Patricio, Piata, Bahia, Brazil 64405
|
|