_SS_Wappes_FSCA_17kmW_Tuxtla_Gutierrez_CH_Mex.jpg)
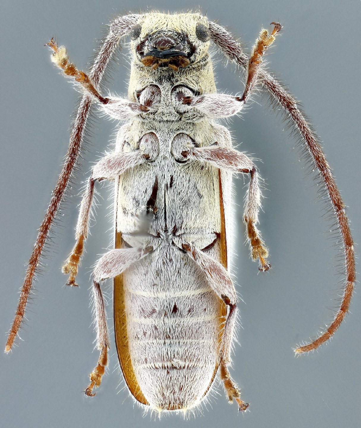
Specimen Type: holotype Sex: f Institution: FSCA Florida State Collection of Arthropods, Gainesville, FL, USA Photographer: Antonio Santos-Silva Collection Location: 17 km W Tuxtla Gutierrez, Chiapas, Mexico 63877
|
_SS_Wappes_FSCA_17kmW_Tuxtla_Gutierrez_CH_Mex.jpg)
Specimen Type: holotype Sex: f Institution: FSCA Florida State Collection of Arthropods, Gainesville, FL, USA Photographer: Antonio Santos-Silva Collection Location: 17 km W Tuxtla Gutierrez, Chiapas, Mexico 63878
|
_SS_Wappes_FSCA_17kmW_Tuxtla_Gutierrez_CH_Mex.jpg)
Specimen Type: holotype Sex: f Institution: FSCA Florida State Collection of Arthropods, Gainesville, FL, USA Photographer: Antonio Santos-Silva Collection Location: 17 km W Tuxtla Gutierrez, Chiapas, Mexico 63879
|
_SS_Wappes_FSCA_17kmW_Tuxtla_Gutierrez_CH_Mex.jpg)
Specimen Type: holotype Sex: f Institution: FSCA Florida State Collection of Arthropods, Gainesville, FL, USA Photographer: Antonio Santos-Silva Collection Location: 17 km W Tuxtla Gutierrez, Chiapas, Mexico 63880
|
|