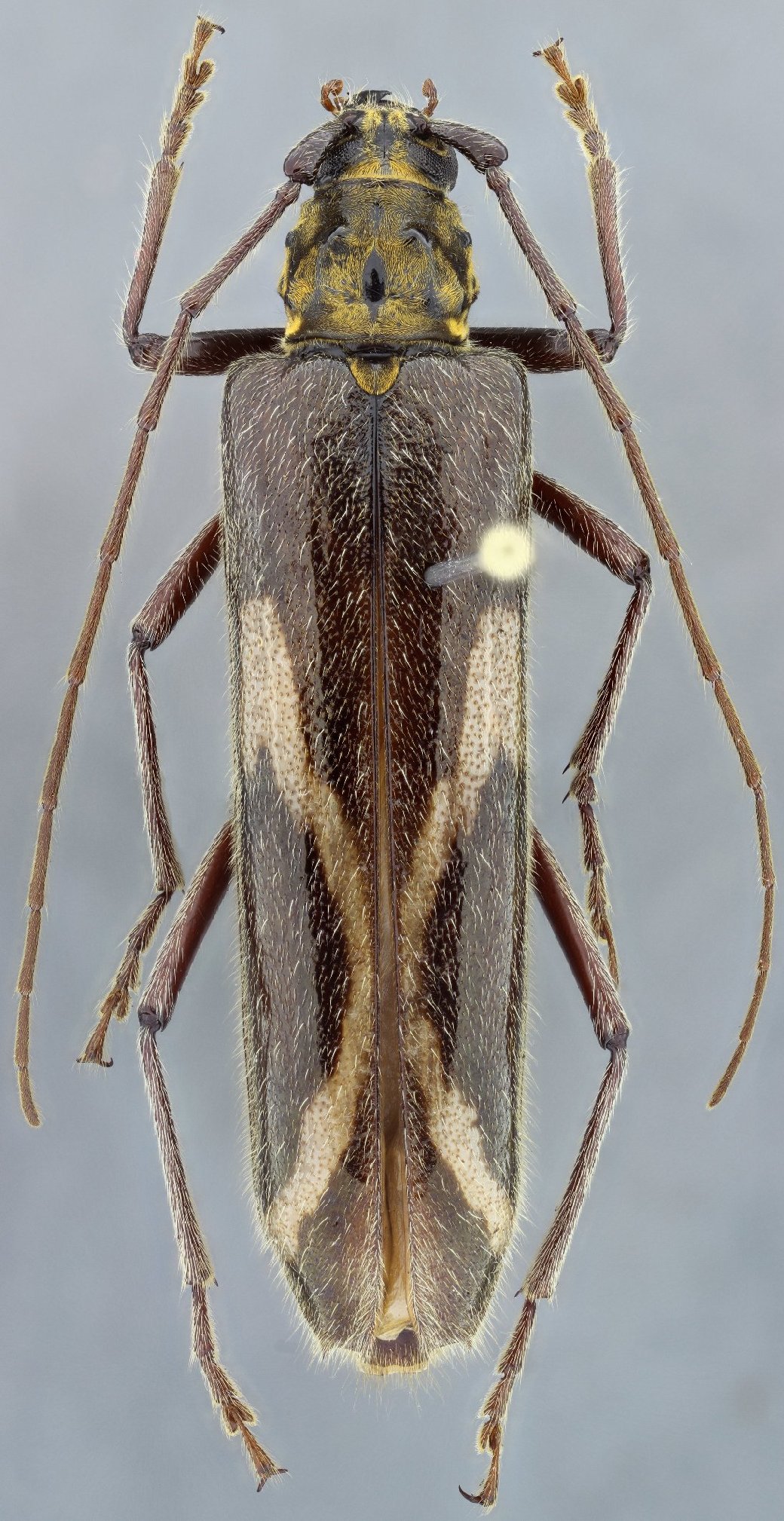
_Boterpo_SS_MZSP_Bogota_Colombia.jpg)
Specimen Type: holotype Sex: f Institution: MZSP Museu de Zoologia da Universidade de São Paulo, Brazil Photographer: Antonio Santos-Silva Collection Location: Bogota, Colombia 63807
|
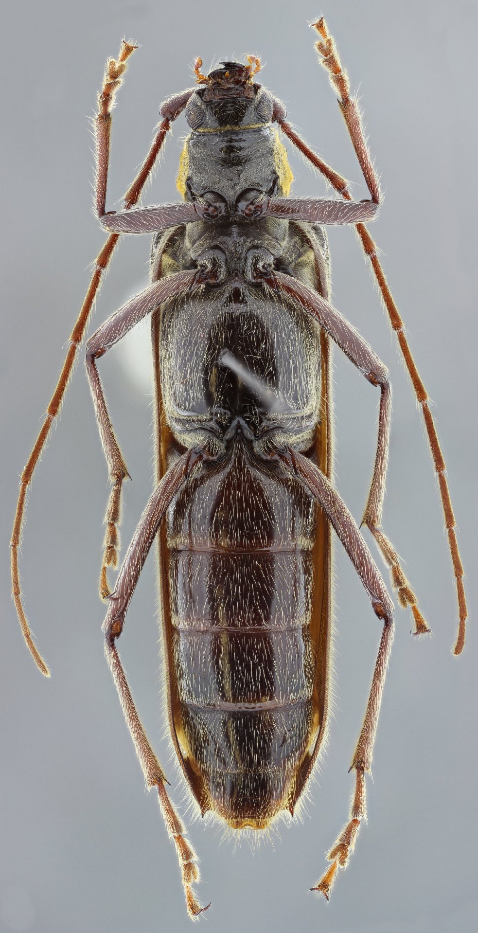
_Boterpo_SS_MZSP_Bogota_Colombia.jpg)
Specimen Type: holotype Sex: f Institution: MZSP Museu de Zoologia da Universidade de São Paulo, Brazil Photographer: Antonio Santos-Silva Collection Location: Bogota, Colombia 63808
|