_Bot_SS_MZSP_El_Chical_Carolinae_Carchi_wEcuador.jpg)
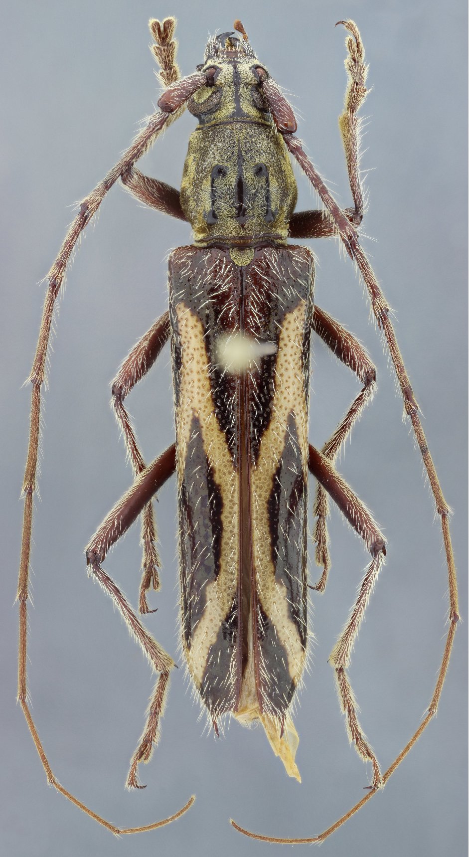
Specimen Type: holotype Sex: m Institution: MZSP Museu de Zoologia da Universidade de São Paulo, Brazil Photographer: Antonio Santos-Silva Collection Location: El Chical Carolinae, Carchi, Ecuador 63804
|
_Bot_SS_MZSP_El_Chical_Carolinae_Carchi_wEcuador.jpg)
Specimen Type: holotype Sex: m Institution: MZSP Museu de Zoologia da Universidade de São Paulo, Brazil Photographer: Antonio Santos-Silva Collection Location: El Chical Carolinae, Carchi, Ecuador 63805
|
_Bot_SS_MZSP_El_Chical_Carolinae_Carchi_wEcuador.jpg)
Specimen Type: holotype Sex: m Institution: MZSP Museu de Zoologia da Universidade de São Paulo, Brazil Photographer: Antonio Santos-Silva Collection Location: El Chical Carolinae, Carchi, Ecuador 63806
|
|