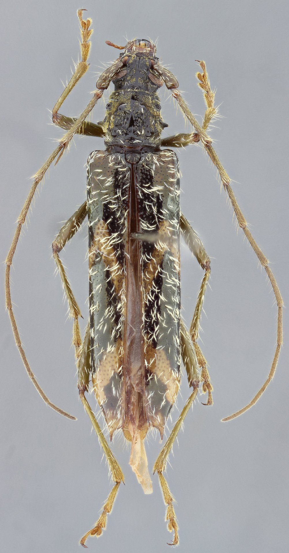
_Bot_SS_MZSP_Vereda_laConcepcion_Bosque_La_Guajira_Cund_Col.jpg)
Specimen Type: holotype Sex: f Institution: MZSP Museu de Zoologia da Universidade de São Paulo, Brazil Photographer: Antonio Santos-Silva Collection Location: Vereda la Concepcion (Bosque La Guajira) Cundinamarca, Colombia 63798
|
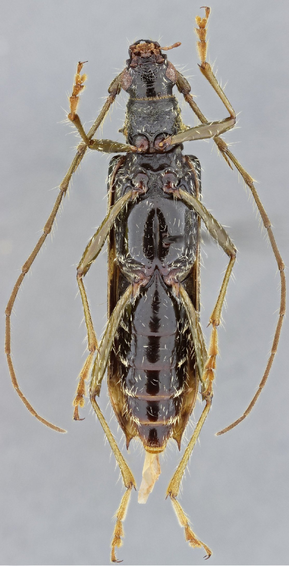
_Bot_SS_MZSP_Vereda_laConcepcion_Bosque_La_Guajira_Cund_Col.jpg)
Specimen Type: holotype Sex: f Institution: MZSP Museu de Zoologia da Universidade de São Paulo, Brazil Photographer: Antonio Santos-Silva Collection Location: Vereda la Concepcion (Bosque La Guajira) Cundinamarca, Colombia 63799
|