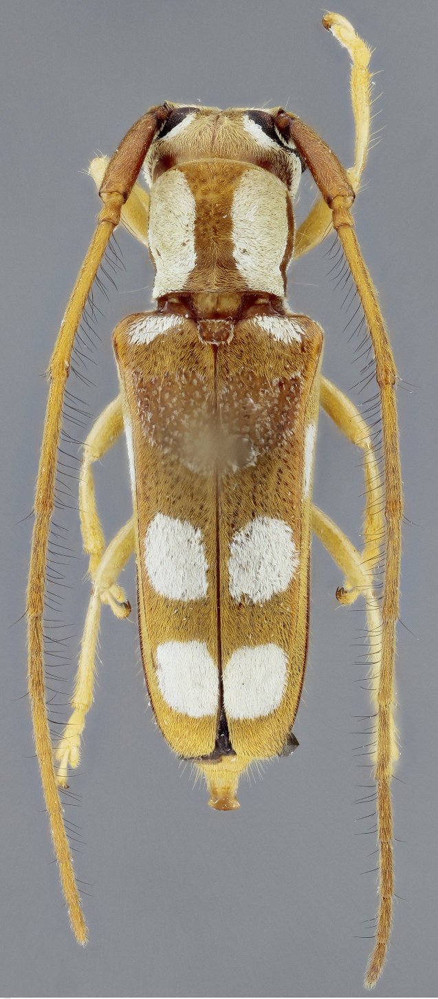
_Wappes_SS_MNKM_Rd_to_Amboro_aboveAchira_SC_Bol.jpg)
Specimen Type: holotype Sex: m Institution: MNKM Museo de Hist Nat Noel Kempff Mercado Santa Cruz de la Sierra, Bolivia Photographer: Antonio Santos-Silva Collection Location: Road to Amboro above Achira, Santa Cruz, Bolivia 63768
|
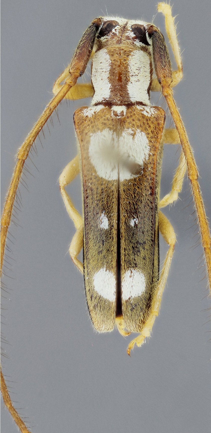
_Wappes_SS_MNKM_Rd_to_Amboro_aboveAchira_SC_Bol.jpg)
Specimen Type: holotype Sex: m Institution: MNKM Museo de Hist Nat Noel Kempff Mercado Santa Cruz de la Sierra, Bolivia Photographer: Antonio Santos-Silva Collection Location: Road to Amboro above Achira, Santa Cruz, Bolivia 63769
|
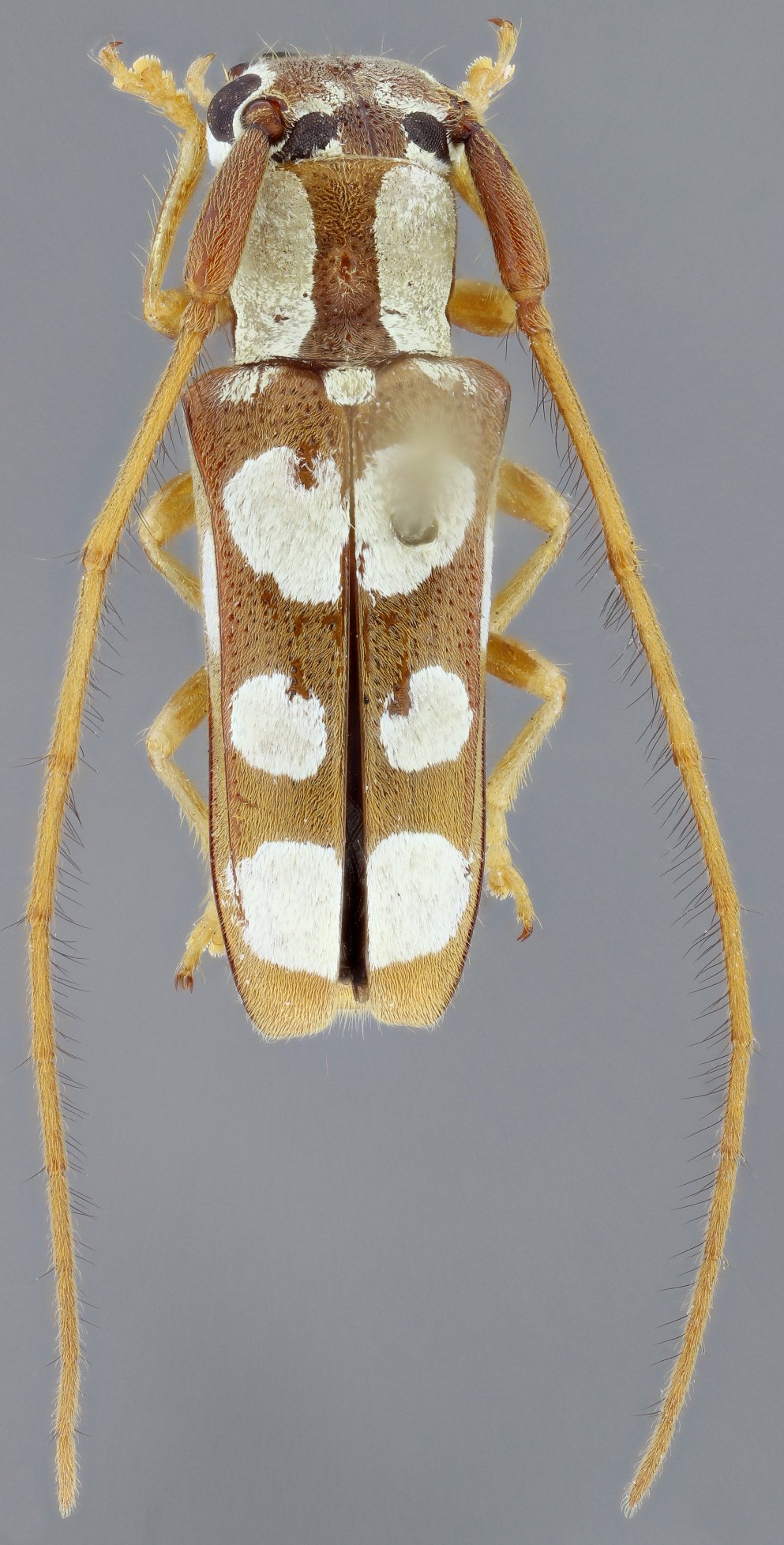
_Wappes_SS_MNKM_Rd_to_Amboro_aboveAchira_SC_Bol.jpg)
Specimen Type: holotype Sex: m Institution: MNKM Museo de Hist Nat Noel Kempff Mercado Santa Cruz de la Sierra, Bolivia Photographer: Antonio Santos-Silva Collection Location: Road to Amboro above Achira, Santa Cruz, Bolivia 63770
|
_Wappes_SS_MNKM_Rd_to_Amboro_aboveAchira_SC_Bol.jpg)
Specimen Type: holotype Sex: m Institution: MNKM Museo de Hist Nat Noel Kempff Mercado Santa Cruz de la Sierra, Bolivia Photographer: Antonio Santos-Silva Collection Location: Road to Amboro above Achira, Santa Cruz, Bolivia 63771
|
_Wappes_SS_SC_Bol.jpg)
Specimen Type: paratype Sex: f Photographer: Antonio Santos-Silva Collection Location: Santa Cruz, Bolivia 63772
|
_Wappes_SS_SC_Bol.jpg)
Specimen Type: paratype Sex: f Photographer: Antonio Santos-Silva Collection Location: Santa Cruz, Bolivia 63773
|
_Wappes_SS_SC_Bol.jpg)
Specimen Type: paratype Sex: f Photographer: Antonio Santos-Silva Collection Location: Santa Cruz, Bolivia 63774
|
_Wappes_SS_SC_Bol.jpg)
Specimen Type: paratype Sex: m Photographer: Antonio Santos-Silva Collection Location: Santa Cruz, Bolivia 63775
|
_Wappes_SS_SC_Bol.jpg)
Specimen Type: paratype Sex: m Photographer: Antonio Santos-Silva Collection Location: Santa Cruz, Bolivia 63776
|
_Wappes_SS_SC_Bol.jpg)
Specimen Type: paratype Sex: m Photographer: Antonio Santos-Silva Collection Location: Santa Cruz, Bolivia 63777
|