_Botero_Noriega_E-ANDES_Amacayacu_NNP_Amazonas_Dept_Colomb.jpg)
Specimen Type: holotype Sex: m Institution: University de Los Andes, Bogota, Colombia Photographer: Juan Pablo Botero Collection Location: Amacayacu NNP, Amazonas Department, Colombia 63762
|
_Botero_Noriega_E-ANDES_Amacayacu_NNP_Amazonas_Dept_Colomb.jpg)
Specimen Type: holotype Sex: m Institution: University de Los Andes, Bogota, Colombia Photographer: Juan Pablo Botero Collection Location: Amacayacu NNP, Amazonas Department, Colombia 63763
|
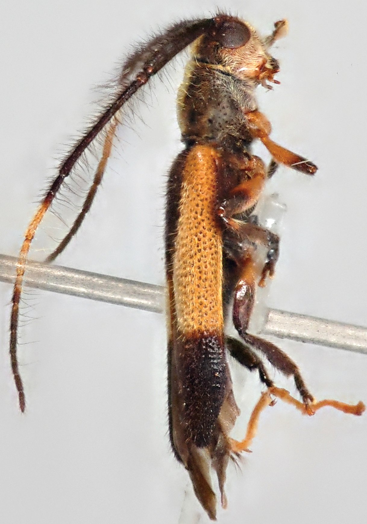
_Botero_Noriega_E-ANDES_Amacayacu_NNP_Amazonas_Dept_Colomb.jpg)
Specimen Type: holotype Sex: m Institution: University de Los Andes, Bogota, Colombia Photographer: Juan Pablo Botero Collection Location: Amacayacu NNP, Amazonas Department, Colombia 63764
|
_Botero_Noriega_E-ANDES_Amacayacu_NNP_Amazonas_Dept_Colomb.jpg)
Specimen Type: holotype Sex: m Institution: University de Los Andes, Bogota, Colombia Photographer: Juan Pablo Botero Collection Location: Amacayacu NNP, Amazonas Department, Colombia 63765
|
|