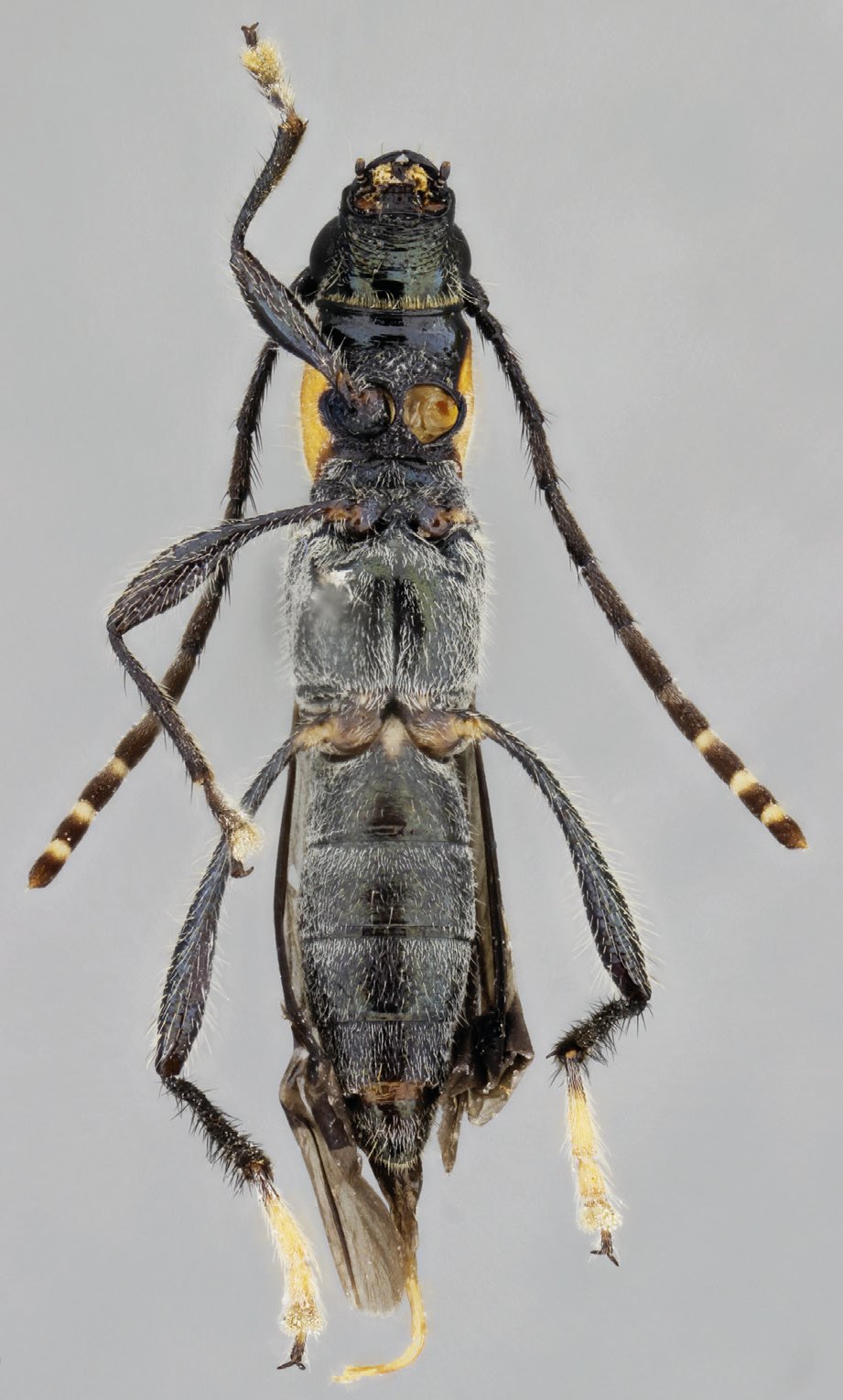
_Nascimento_SS_MZSP_Igrapiuna_Bahia_Braz.jpg)
Specimen Type: holotype Sex: f Institution: MZSP Museu de Zoologia da Universidade de São Paulo, Brazil Collection Location: Igrapiúna (Reserva Ecológica da Michelin, Pacangê, Bahia, Brazil 63472
|
_Nascimento_SS_MZSP_Igrapiuna_Bahia_Braz.jpg)
Specimen Type: holotype Sex: f Institution: MZSP Museu de Zoologia da Universidade de São Paulo, Brazil Collection Location: Igrapiúna (Reserva Ecológica da Michelin, Pacangê, Bahia, Brazil 63473
|
_Nascimento_SS_MZSP_Igrapiuna_Bahia_Braz.jpg)
Specimen Type: holotype Sex: f Institution: MZSP Museu de Zoologia da Universidade de São Paulo, Brazil Collection Location: Igrapiúna (Reserva Ecológica da Michelin, Pacangê, Bahia, Brazil 63474
|
_Nascimento_SS_MZSP_Igrapiuna_Bahia_Braz.jpg)
Specimen Type: holotype Sex: f Institution: MZSP Museu de Zoologia da Universidade de São Paulo, Brazil Collection Location: Igrapiúna (Reserva Ecológica da Michelin, Pacangê, Bahia, Brazil 63475
|
|