_Joly_Vig_SS_MIZA_El_Limon_Venez.jpg)
Specimen Type: paratype Sex: f Institution: MIZA Museuo del Instituto de Zoología Agrícola, Maracay, Venezuela Photographer: Antonio Santos-Silva Collection Location: El Limon, Venezuela 63462
|
_Joly_Vig_SS_MIZA_El_Limon_Venez.jpg)
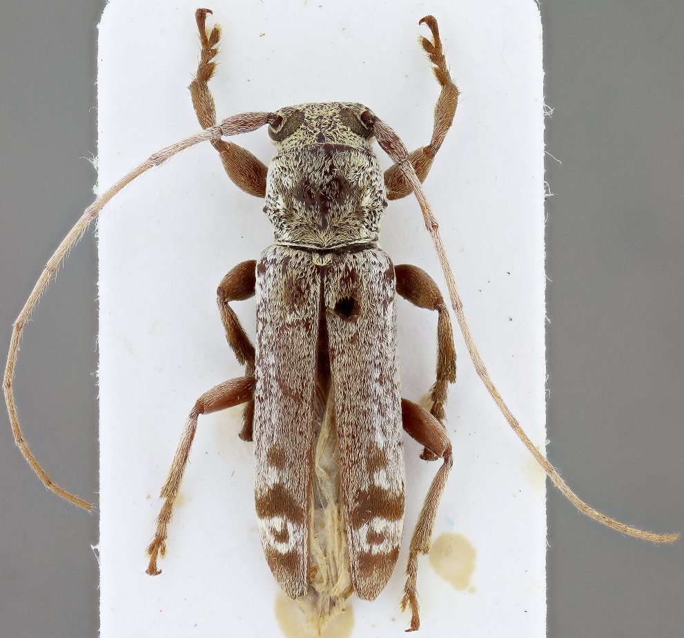
Specimen Type: paratype Sex: f Institution: MIZA Museuo del Instituto de Zoología Agrícola, Maracay, Venezuela Photographer: Antonio Santos-Silva Collection Location: El Limon, Venezuela 63463
|
_Joly_Vig_SS_MIZA_El_Limon_Venez.jpg)
Specimen Type: paratype Sex: f Institution: MIZA Museuo del Instituto de Zoología Agrícola, Maracay, Venezuela Photographer: Antonio Santos-Silva Collection Location: El Limon, Venezuela 63464
|
|