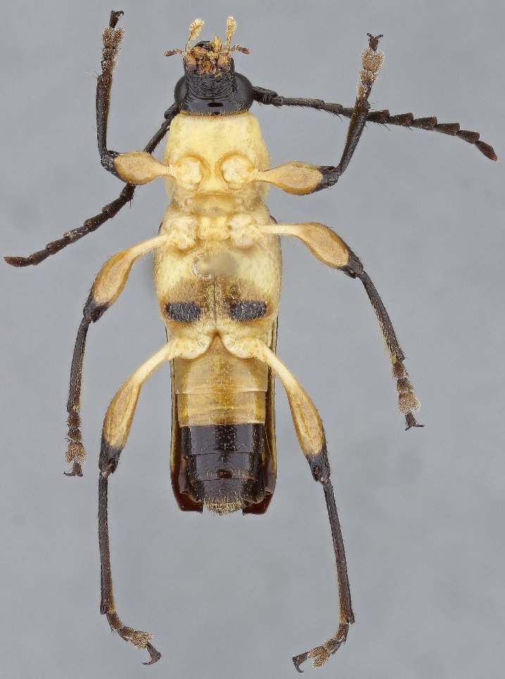
_Joly_Vig_SS_MIZA_Parque_Nac_Henri_Pittier_Aragua_Portachuelo_Venez.jpg)
Specimen Type: paratype Sex: m Institution: MIZA Museuo del Instituto de Zoología Agrícola, Maracay, Venezuela Photographer: Antonio Santos-Silva Collection Location: Parque Nacional Henri Pittier, Aragua, Portachuelo, Venezuela 63468
|
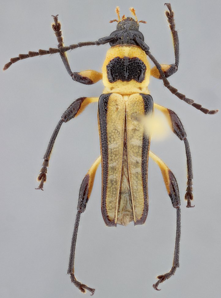
_Joly_Vig_SS_MIZA_Parque_Nac_Henri_Pittier_Aragua_Portachuelo_Venez.jpg)
Specimen Type: paratype Sex: m Institution: MIZA Museuo del Instituto de Zoología Agrícola, Maracay, Venezuela Photographer: Antonio Santos-Silva Collection Location: Parque Nacional Henri Pittier, Aragua, Portachuelo, Venezuela 63469
|
_Joly_Vig_SS_MIZA_Parque_Nac_Henri_Pittier_Aragua_Portachuelo_Venez.jpg)
Specimen Type: paratype Sex: m Institution: MIZA Museuo del Instituto de Zoología Agrícola, Maracay, Venezuela Photographer: Antonio Santos-Silva Collection Location: Parque Nacional Henri Pittier, Aragua, Portachuelo, Venezuela 63470
|
_Joly_Vig_SS_MIZA_Parque_Nac_Henri_Pittier_Aragua_Portachuelo_Venez.jpg)
Specimen Type: paratype Sex: m Institution: MIZA Museuo del Instituto de Zoología Agrícola, Maracay, Venezuela Photographer: Antonio Santos-Silva Collection Location: Parque Nacional Henri Pittier, Aragua, Portachuelo, Venezuela 63471
|
|