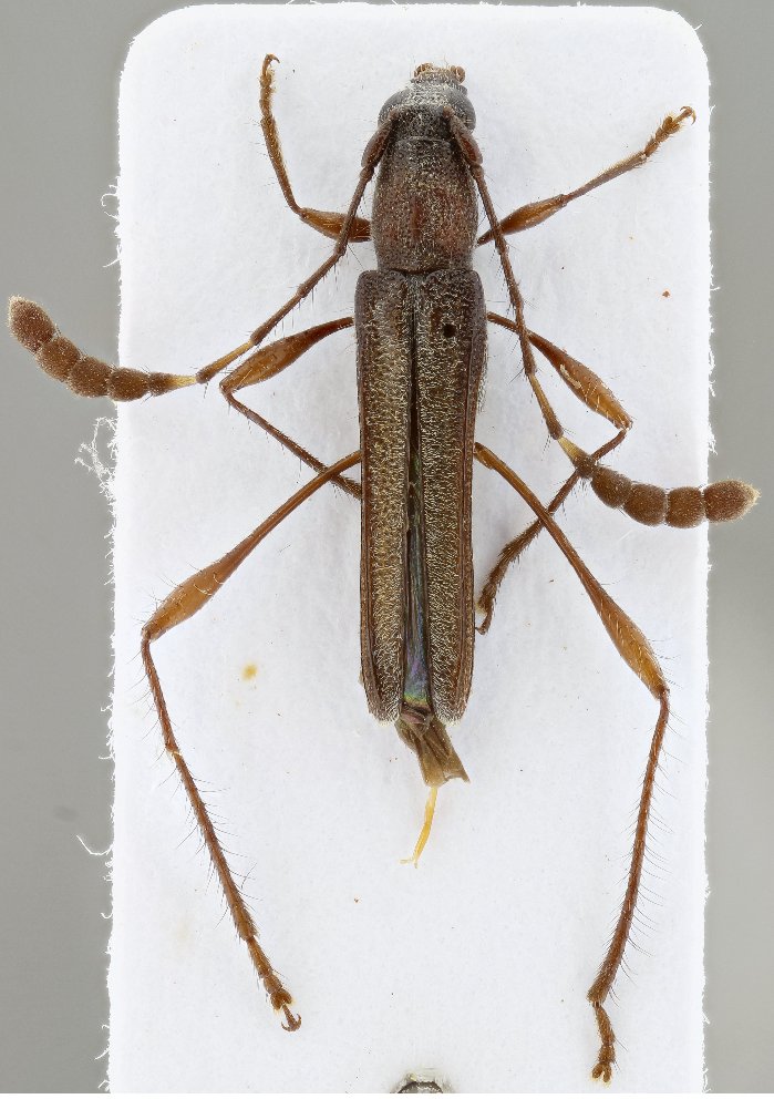
_Joly_Vig_SS_MIZA_Rancho_Grande_Aragua_Portachuelo_Venez.jpg)
Specimen Type: paratype Sex: f Institution: MIZA Museuo del Instituto de Zoología Agrícola, Maracay, Venezuela Photographer: Antonio Santos-Silva Collection Location: Rancho Grande, Aragua, Portachuelo, Venezuela 63455
|
_Joly_Vig_SS_MIZA_Rancho_Grande_Aragua_Portachuelo_Venez.jpg)
Specimen Type: paratype Sex: f Institution: MIZA Museuo del Instituto de Zoología Agrícola, Maracay, Venezuela Photographer: Antonio Santos-Silva Collection Location: Rancho Grande, Aragua, Portachuelo, Venezuela 63456
|