_Joly_Vig_SS_MIZA_Rancho_Grande_Aragua_Portachuelo_Venez.jpg)
Specimen Type: paratype Sex: m Institution: MIZA Museuo del Instituto de Zoología Agrícola, Maracay, Venezuela Photographer: Antonio Santos-Silva Collection Location: Rancho Grande, Aragua, Portachuelo, Venezuela 63465
|
_Joly_Vig_SS_MIZA_Rancho_Grande_Aragua_Portachuelo_Venez.jpg)
Specimen Type: paratype Sex: m Institution: MIZA Museuo del Instituto de Zoología Agrícola, Maracay, Venezuela Photographer: Antonio Santos-Silva Collection Location: Rancho Grande, Aragua, Portachuelo, Venezuela 63466
|
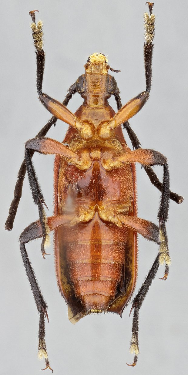
_Joly_Vig_SS_MIZA_Rancho_Grande_Aragua_Portachuelo_Venez.jpg)
Specimen Type: paratype Sex: m Institution: MIZA Museuo del Instituto de Zoología Agrícola, Maracay, Venezuela Photographer: Antonio Santos-Silva Collection Location: Rancho Grande, Aragua, Portachuelo, Venezuela 63467
|
|