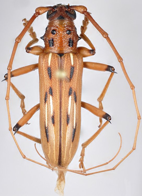
_Botero_UNAB_Neiva_(Bajo_Bejucal)_Huila_Colombia.jpg)
Specimen Type: holotype Sex: m Institution: UNAB Universidad Nacional, Facultad de Agronomía, Bogota, Colombia Photographer: Juan Pablo Botero Collection Location: Neiva (Bajo Bejucal), Huila, Colombia 63451
|
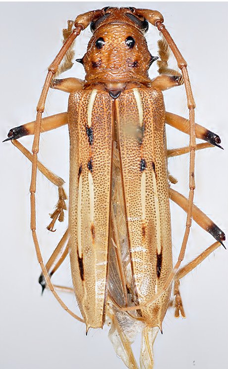
_Botero_UNAB_Neiva_(Bajo_Bejucal)_Huila_Colombia.jpg)
Specimen Type: holotype Sex: m Institution: UNAB Universidad Nacional, Facultad de Agronomía, Bogota, Colombia Photographer: Juan Pablo Botero Collection Location: Neiva (Bajo Bejucal), Huila, Colombia 63452
|
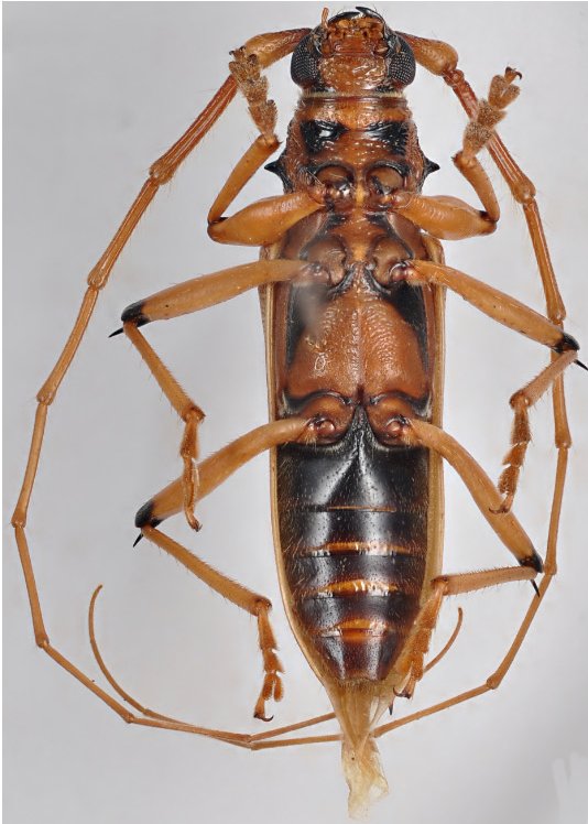
_Botero_UNAB_Neiva_(Bajo_Bejucal)_Huila_Colombia.jpg)
Specimen Type: holotype Sex: m Institution: UNAB Universidad Nacional, Facultad de Agronomía, Bogota, Colombia Photographer: Juan Pablo Botero Collection Location: Neiva (Bajo Bejucal), Huila, Colombia 63453
|
_Botero_Colombia.jpg)
Specimen Type: paratype Sex: f Photographer: Juan Pablo Botero Collection Location: Colombia 63454
|
|