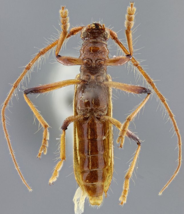
_Botero_MZSP_Ceu_Azul_Parana_Brazil.jpg)
Specimen Type: holotype Sex: f Institution: MZSP Museu de Zoologia da Universidade de São Paulo, Brazil Photographer: Juan Pablo Botero Collection Location: Ceu Azul, Parana, Brazil 63383
|
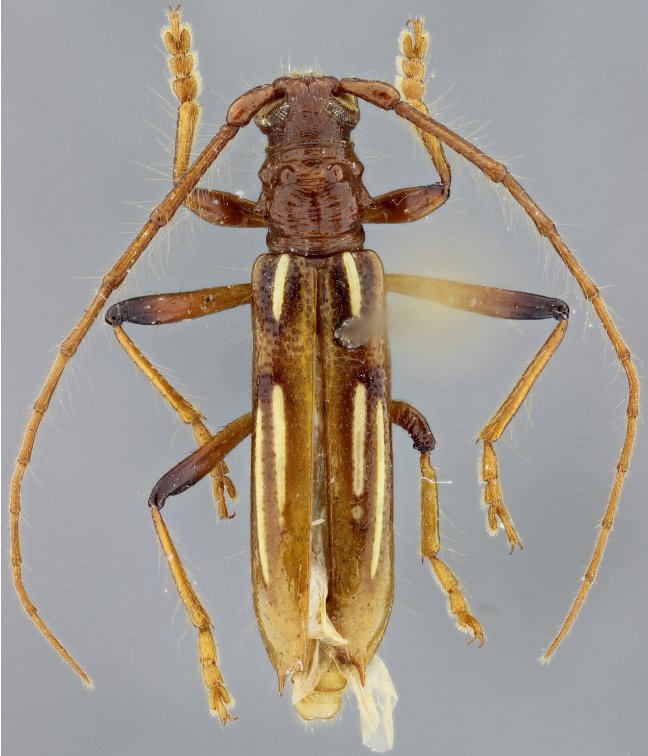
_Botero_MZSP_Ceu_Azul_Parana_Brazil.jpg)
Specimen Type: holotype Sex: f Institution: MZSP Museu de Zoologia da Universidade de São Paulo, Brazil Photographer: Juan Pablo Botero Collection Location: Ceu Azul, Parana, Brazil 63384
|
_Botero_MZSP_Ceu_Azul_Parana_Brazil.jpg)
Specimen Type: holotype Sex: f Institution: MZSP Museu de Zoologia da Universidade de São Paulo, Brazil Photographer: Juan Pablo Botero Collection Location: Ceu Azul, Parana, Brazil 63385
|
|