New Search Family, Subfamily and Tribe List

SubFamily Lamiinae

Tribe Astathini
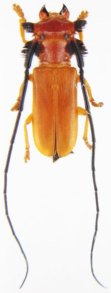
Momisis vietnamica Vives 2016

Photographer: Dooseok Yi, Cerambycoidea Forum
Determiner: Xavier Gouverneur, Cerambycoidea Forum
Collection Location: Mt Phu Pan, Hua Phan Prov NE Laos
96317

130425