New Search Family, Subfamily and Tribe List

SubFamily Vesperinae

Tribe Vesperini
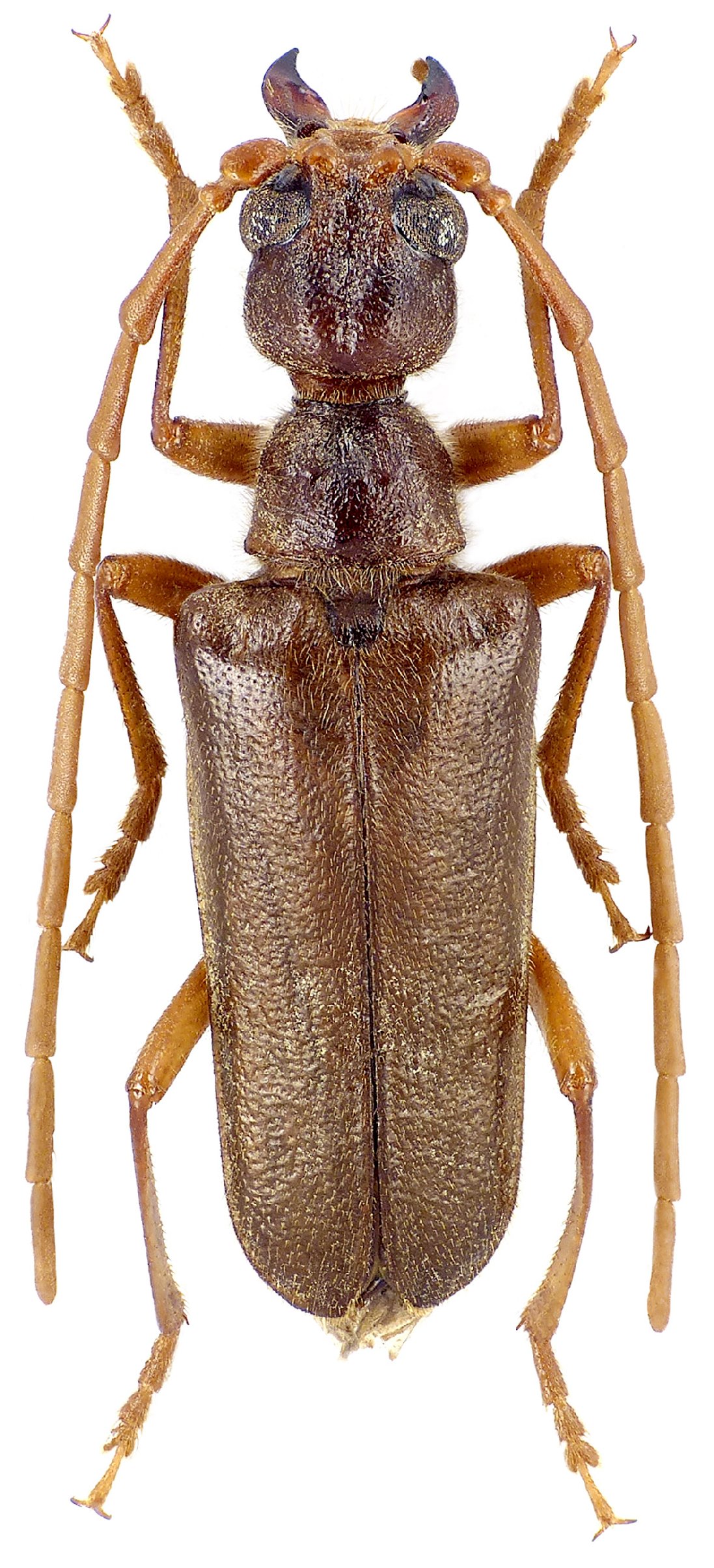
Vesperus barredai Verdugo 2009

Photographer: Navratil & Hoskovec
Collection Location: vic Montorti, Alto Alentejo Province, Portugal
80223

130425