_SS_Botero_rd_from_Otanche_to_Puerto_Boyaca_Boyaca_Colomb.jpg)
Specimen Type: holotype Sex: f Institution: MZSP Museu de Zoologia da Universidade de São Paulo, Brazil Photographer: Antonio Santos-Silva Collection Location: road from Otanche to Puerto, Boyaca, Boyaca_Colomb 62425
|
_SS_Botero_rd_from_Otanche_to_Puerto_Boyaca_Boyaca_Colomb.jpg)
Specimen Type: holotype Sex: f Institution: MZSP Museu de Zoologia da Universidade de São Paulo, Brazil Photographer: Antonio Santos-Silva Collection Location: road from Otanche to Puerto, Boyaca, Boyaca_Colomb 62426
|
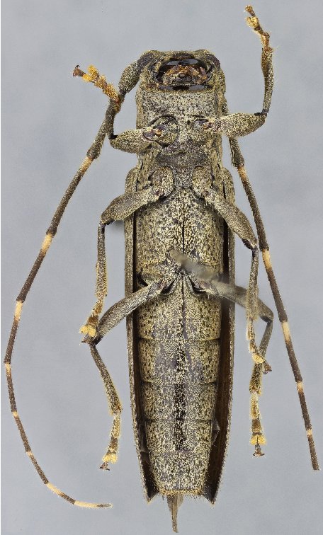
_SS_Botero_rd_from_Otanche_to_Puerto_Boyaca_Boyaca_Colomb.jpg)
Specimen Type: holotype Sex: f Institution: MZSP Museu de Zoologia da Universidade de São Paulo, Brazil Photographer: Antonio Santos-Silva Collection Location: road from Otanche to Puerto, Boyaca, Boyaca_Colomb 62427
|
_SS_Botero_rd_from_Otanche_to_Puerto_Boyaca_Boyaca_Colomb.jpg)
Specimen Type: holotype Sex: f Institution: MZSP Museu de Zoologia da Universidade de São Paulo, Brazil Photographer: Antonio Santos-Silva Collection Location: road from Otanche to Puerto, Boyaca, Boyaca_Colomb 62428
|
|