_SS_Galileo_MNKM_2kmSW_Villamontes_Tarija_Bol.jpg)
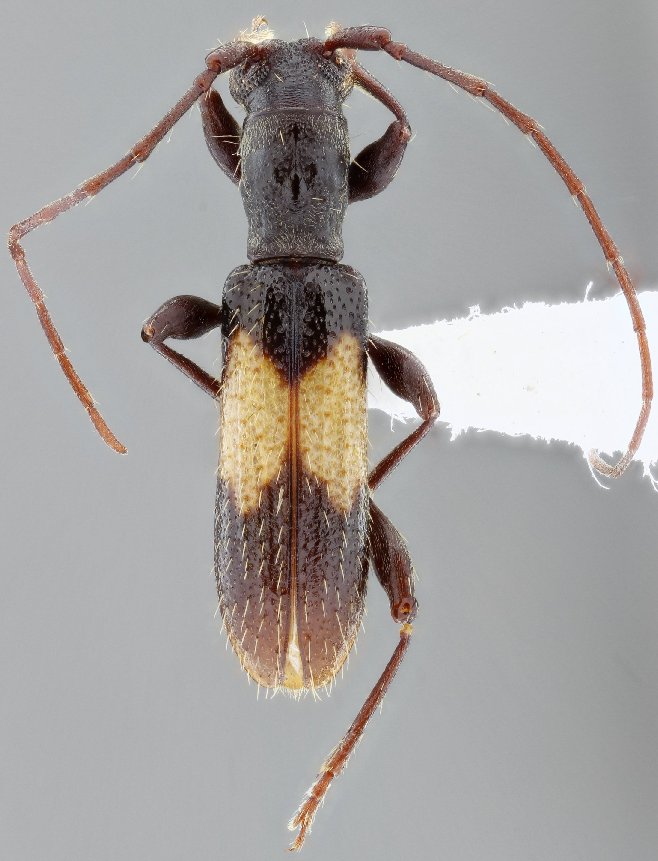
Specimen Type: holotype Sex: m Institution: MNKM Museo de Hist Nat Noel Kempff Mercado Santa Cruz de la Sierra, Bolivia Photographer: Antonio Santos-Silva Collection Location: 2 km SW Villamontes, Tarija, Bolivia 62397
|
_SS_Galileo_MNKM_2kmSW_Villamontes_Tarija_Bol.jpg)
Specimen Type: holotype Sex: m Institution: MNKM Museo de Hist Nat Noel Kempff Mercado Santa Cruz de la Sierra, Bolivia Photographer: Antonio Santos-Silva Collection Location: 2 km SW Villamontes, Tarija, Bolivia 62398
|
_SS_Galileo_MNKM_2kmSW_Villamontes_Tarija_Bol.jpg)
Specimen Type: holotype Sex: m Institution: MNKM Museo de Hist Nat Noel Kempff Mercado Santa Cruz de la Sierra, Bolivia Photographer: Antonio Santos-Silva Collection Location: 2 km SW Villamontes, Tarija, Bolivia 62399
|
_SS_Galileo_MNKM_2kmSW_Villamontes_Tarija_Bol.jpg)
Specimen Type: holotype Sex: m Institution: MNKM Museo de Hist Nat Noel Kempff Mercado Santa Cruz de la Sierra, Bolivia Photographer: Antonio Santos-Silva Collection Location: 2 km SW Villamontes, Tarija, Bolivia 62400
|
|