_Wap_Gal_SS_MNKM_El_Refugio_Los_Volcanes_SC_Bolivia.jpg)
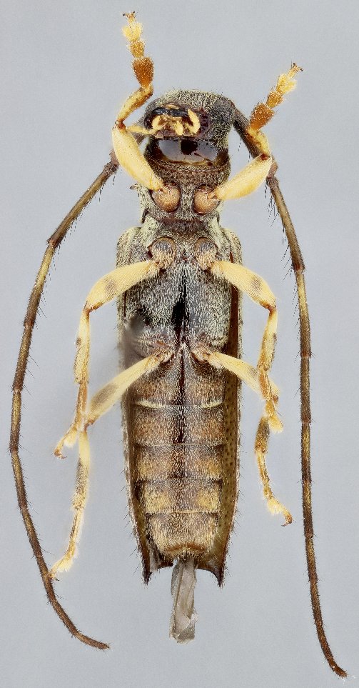
Specimen Type: holotype Sex: f Institution: MNKM Museo de Hist Nat Noel Kempff Mercado Santa Cruz de la Sierra, Bolivia Photographer: Antonio Santos-Silva Collection Location: El Refugio, Los Volcanes, Santa Cruz, Bolivia 62363
|
_Wap_Gal_SS_MNKM_El_Refugio_Los_Volcanes_SC_Bolivia.jpg)
Specimen Type: holotype Sex: f Institution: MNKM Museo de Hist Nat Noel Kempff Mercado Santa Cruz de la Sierra, Bolivia Photographer: Antonio Santos-Silva Collection Location: El Refugio, Los Volcanes, Santa Cruz, Bolivia 62364
|
_Wap_Gal_SS_MNKM_El_Refugio_Los_Volcanes_SC_Bolivia.jpg)
Specimen Type: holotype Sex: f Institution: MNKM Museo de Hist Nat Noel Kempff Mercado Santa Cruz de la Sierra, Bolivia Photographer: Antonio Santos-Silva Collection Location: El Refugio, Los Volcanes, Santa Cruz, Bolivia 62365
|
_Wap_Gal_SS_MZSP_El_Refugio_Los_Volcanes_SC_Bolivia.jpg)
Specimen Type: paratype Sex: m Institution: MZSP Museu de Zoologia da Universidade de São Paulo, Brazil Photographer: Antonio Santos-Silva Collection Location: El Refugio, Los Volcanes, Santa Cruz, Bolivia 62366
|
|