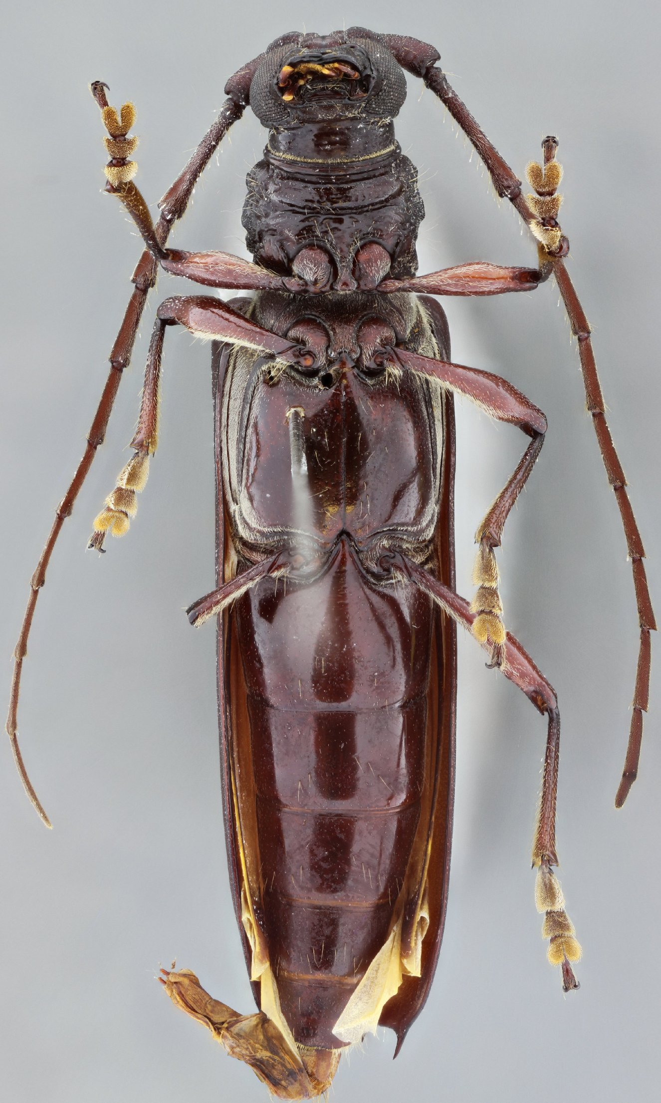
_SS_Wappes_MZSP_Ceu_Azul_Parana_Brazil.jpg)
Specimen Type: holotype Sex: m Institution: MZSP Museu de Zoologia da Universidade de São Paulo, Brazil Photographer: Antonio Santos-Silva Collection Location: Ceu Azul, Parana, Brazil 62358
|
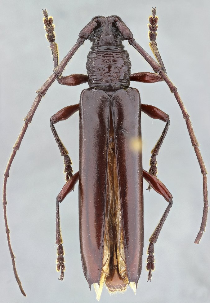
_SS_Wappes_FSCA_Corupa_Santa_Catarina_Brazil.jpg)
Specimen Type: paratype Sex: m Institution: FSCA Florida State Collection of Arthropods, Gainesville, FL, USA Photographer: Antonio Santos-Silva Collection Location: Corupa, Santa Catarina, Brazil 62359
|
_SS_Wappes_FSCA_Corupa_Santa_Catarina_Brazil.jpg)
Specimen Type: paratype Sex: m Institution: FSCA Florida State Collection of Arthropods, Gainesville, FL, USA Photographer: Antonio Santos-Silva Collection Location: Corupa, Santa Catarina, Brazil 62360
|
_SS_Wappes_FSCA_Corupa_Santa_Catarina_Brazil.jpg)
Specimen Type: paratype Sex: m Institution: FSCA Florida State Collection of Arthropods, Gainesville, FL, USA Photographer: Antonio Santos-Silva Collection Location: Corupa, Santa Catarina, Brazil 62361
|
_SS_Wappes_FSCA_Corupa_Santa_Catarina_Brazil.jpg)
Specimen Type: paratype Sex: m Institution: FSCA Florida State Collection of Arthropods, Gainesville, FL, USA Photographer: Antonio Santos-Silva Collection Location: Corupa, Santa Catarina, Brazil 62362
|
_SS_Wapp_Estacion_Ecologica_Jatai_SP_Braz.jpg)
Sex: f Institution: MZSP Museu de Zoologia da Universidade de São Paulo, Brazil Photographer: Antonio Santos-Silva Collection Location: Estacion Ecologica, Jatai, Sao Paolo, Brazil 67855
|
_SS_Wapp_Estacion_Ecologica_Jatai_SP_Braz.jpg)
Sex: f Institution: MZSP Museu de Zoologia da Universidade de São Paulo, Brazil Photographer: Antonio Santos-Silva Collection Location: Estacion Ecologica, Jatai, Sao Paolo, Brazil 67856
|
_SS_Wapp_Estacion_Ecologica_Jatai_SP_Braz.jpg)
Sex: f Institution: MZSP Museu de Zoologia da Universidade de São Paulo, Brazil Photographer: Antonio Santos-Silva Collection Location: Estacion Ecologica, Jatai, Sao Paolo, Brazil 67857
|
|