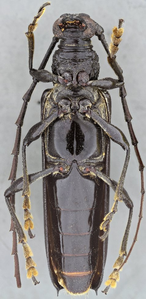
_SS_Wappes_FSCA_62km_SW_Ariquemes_RO_Brazil.jpg)
Specimen Type: holotype Sex: m Institution: FSCA Florida State Collection of Arthropods, Gainesville, FL, USA Photographer: Antonio Santos-Silva Collection Location: 62 km SW of Ariquemes, Rondonia, Brazil 62350
|
_SS_Wappes_FSCA_62km_SW_Ariquemes_RO_Brazil.jpg)
Specimen Type: holotype Sex: m Institution: FSCA Florida State Collection of Arthropods, Gainesville, FL, USA Photographer: Antonio Santos-Silva Collection Location: 62 km SW of Ariquemes, Rondonia, Brazil 62351
|
_SS_Wappes_FSCA_62km_SW_Ariquemes_RO_Brazil.jpg)
Specimen Type: holotype Sex: m Institution: FSCA Florida State Collection of Arthropods, Gainesville, FL, USA Photographer: Antonio Santos-Silva Collection Location: 62 km SW of Ariquemes, Rondonia, Brazil 62352
|
_SS_Wappes_FSCA_62km_SW_Ariquemes_RO_Brazil.jpg)
Specimen Type: holotype Sex: m Institution: FSCA Florida State Collection of Arthropods, Gainesville, FL, USA Photographer: Antonio Santos-Silva Collection Location: 62 km SW of Ariquemes, Rondonia, Brazil 62353
|
|