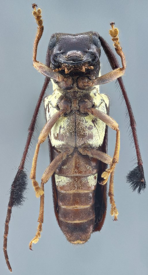
_SS_Gal_Le_Tirant_MZSP_Los_Tuxtlas_VC_Mex.jpg)
Specimen Type: holotype Sex: f Institution: MZSP Museu de Zoologia da Universidade de São Paulo, Brazil Photographer: Antonio Santos-Silva Collection Location: Los Tuxtlas, Veracruz, Mexico 62302
|
_SS_Gal_Le_Tirant_MZSP_Los_Tuxtlas_VC_Mex.jpg)
Specimen Type: holotype Sex: f Institution: MZSP Museu de Zoologia da Universidade de São Paulo, Brazil Photographer: Antonio Santos-Silva Collection Location: Los Tuxtlas, Veracruz, Mexico 62303
|
_SS_Gal_Le_Tirant_MZSP_Los_Tuxtlas_VC_Mex.jpg)
Specimen Type: holotype Sex: f Institution: MZSP Museu de Zoologia da Universidade de São Paulo, Brazil Photographer: Antonio Santos-Silva Collection Location: Los Tuxtlas, Veracruz, Mexico 62304
|
_SS_Gal_Le_Tirant_MZSP_Los_Tuxtlas_VC_Mex.jpg)
Specimen Type: holotype Sex: f Institution: MZSP Museu de Zoologia da Universidade de São Paulo, Brazil Photographer: Antonio Santos-Silva Collection Location: Los Tuxtlas, Veracruz, Mexico 62305
|

Institution: UCB Essig Museum of Entomology, Berkeley, California, USA Photographer: Larry G. Bezark Determiner: Chemsak as nigrina Collection Location: Temescal, Oaxaca, Mexico 5734
|

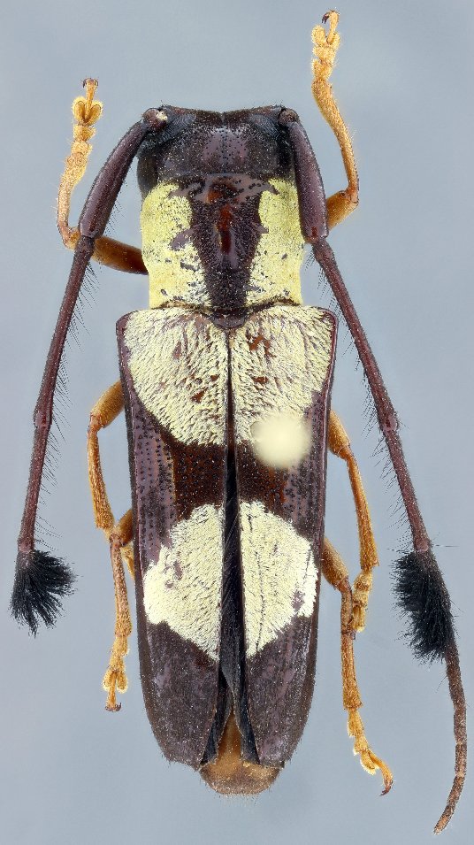
Specimen Type: topotypes Institution: EMEC Essig Museum of Entomology, Berkeley, CA, USA Photographer: Peter Oboyski Collection Location: Biological Station, Los Tuxtlas, Veracruz, Mexico 80353
|
|