_Monne_Monne_MNKM_4kmN_Bermejo_RefugioLosVolcanes_SC_Bol.jpg)
Cobelura raphaeli Monne & Monne Specimen Type: holotype Sex: m Institution: MNKM Museo de Hist Nat Noel Kempff Mercado Santa Cruz de la Sierra, Bolivia Collection Location: 4 km N Bermejo, Refugio Los Volcanes, Santa Cruz, Bolivia 62261
|
 (Mon Mon) Moris coll 4 km N Bermejo, Refugio Los Volcanes, SC Bolivia SS.jpg)
Sex: f Institution: Roy Morris Collection Photographer: Antonio Santos-Silva Collection Location: 4 km N Bermejo, Refugio Los Volcanes, Santa Cruz, Bolivia 89937
|
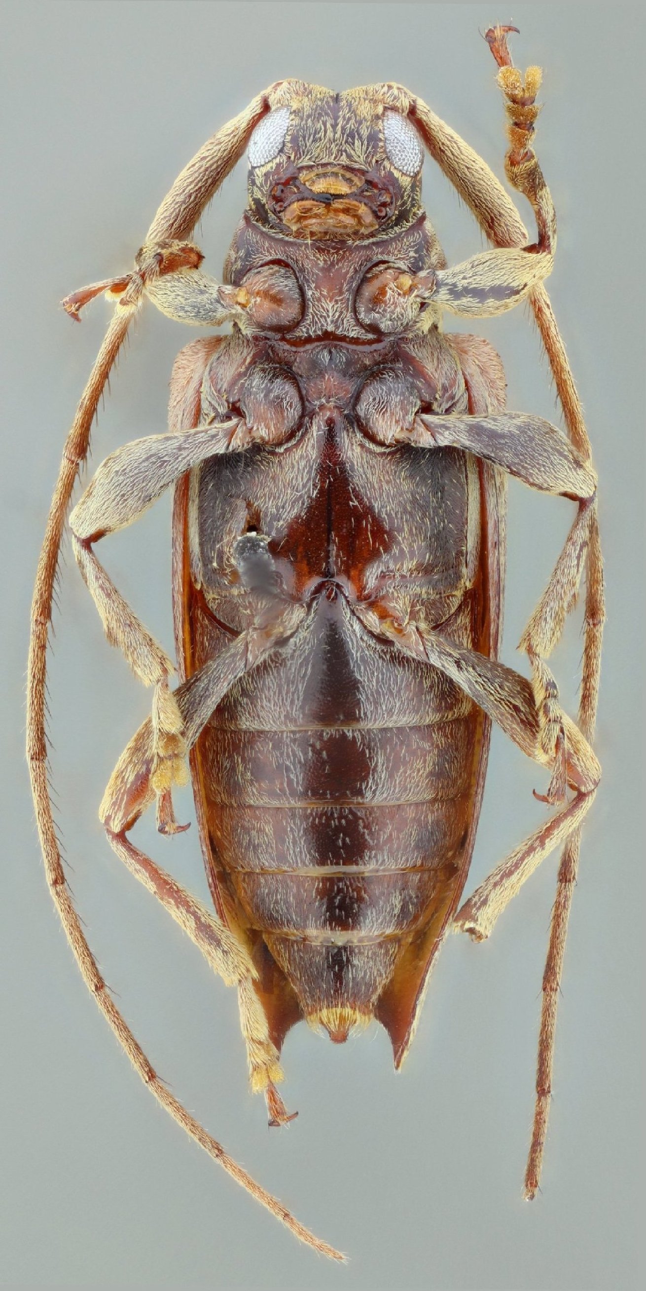
 (Mon Mon) Moris coll 4 km N Bermejo, Refugio Los Volcanes, SC Bolivia SS.jpg)
Sex: f Institution: Roy Morris Collection Photographer: Antonio Santos-Silva Collection Location: 4 km N Bermejo, Refugio Los Volcanes, Santa Cruz, Bolivia 89938
|
|