New Search Family, Subfamily and Tribe List

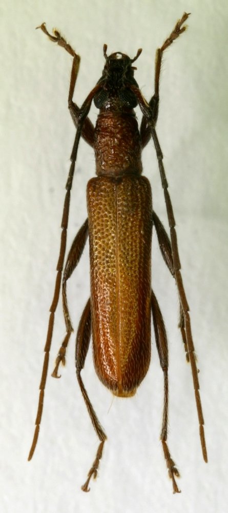
SubFamily Cerambycinae

Tribe Strongylurini
Omotes rostratus Vives & Sudre 2019

Photographer: Philippe Jacquot, Cerambycoidea Forum
Collection Location: Boulouparis, Mont Do, New Caledonia
75468

130425