_Drumont_IRSNB_Mt_Trus_Madi_J_Pirkl_pic5.jpg)
Specimen Type: holotype Sex: m Institution: RBINS Royal Belgian Institute of Natural Sciences, Brussels, Belgium Photographer: J Pirkl Collection Location: Mt Trus Madi, Sabah, Borneo 65358
|
_Drumont_IRSNB_Mt_Trus_Madi_J_Pirkl_pic5.jpg)
Specimen Type: holotype Sex: m Institution: RBINS Royal Belgian Institute of Natural Sciences, Brussels, Belgium Photographer: J Pirkl Collection Location: Mt Trus Madi, Sabah, Borneo 65359
|
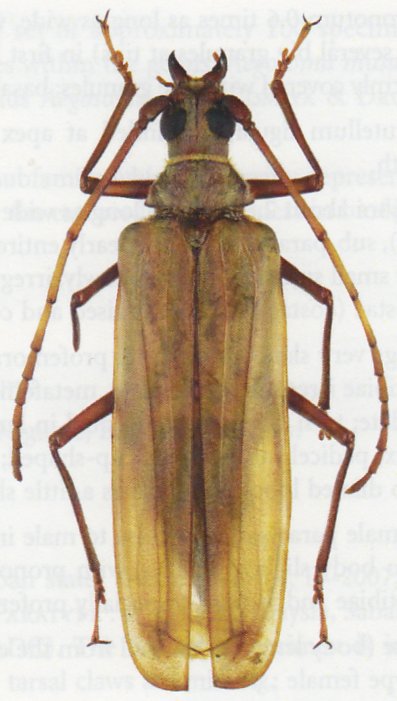
_Drumont_IRSNB_Mt_Trus_Madi_J_Pirkl_pic5.jpg)
Specimen Type: holotype Sex: m Institution: RBINS Royal Belgian Institute of Natural Sciences, Brussels, Belgium Photographer: J Pirkl Collection Location: Mt Trus Madi, Sabah, Borneo 65360
|
_Drumont_coll_Crocker_Range_Sabah_Borneo.jpg)
Specimen Type: paratype Sex: f Institution: Drumont Collection Photographer: Alain Drumont Collection Location: Crocker Range, Sabah, Borneo 74158
|
|