New Search Family, Subfamily and Tribe List

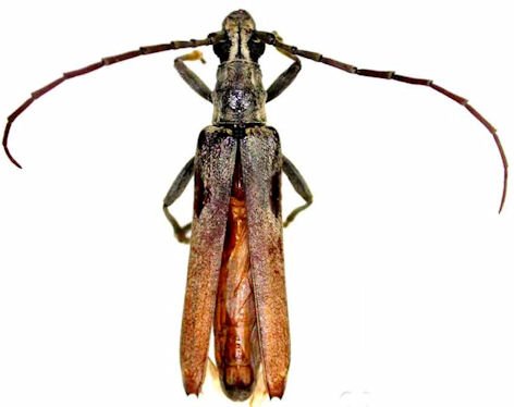
SubFamily Cerambycinae

Tribe Uracanthini
Uracanthus griseus Thongphak & Wang 2007

Specimen Type: paratype
Institution: ANIC Australian National Insect Collection, Canberra
Photographer: Slipinski & Escalona
Collection Location: Murray River, South Australia
62081


Photographer: Thongphak & Wang
66487


Photographer: Slipinski & Escalona
62082

130425