New Search Family, Subfamily and Tribe List

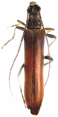
SubFamily Cerambycinae

Tribe Uracanthini
Uracanthus bistriolatus Thongphak & Wang 2007

Specimen Type: holotype
Sex: m
Institution: AMSA Australian Museum Sydney, Australia
Photographer: Slipinski & Escalona
Collection Location: Carnarvon, Queensland, Australia
62055


Photographer: Thongphak & Wang
66466

130425