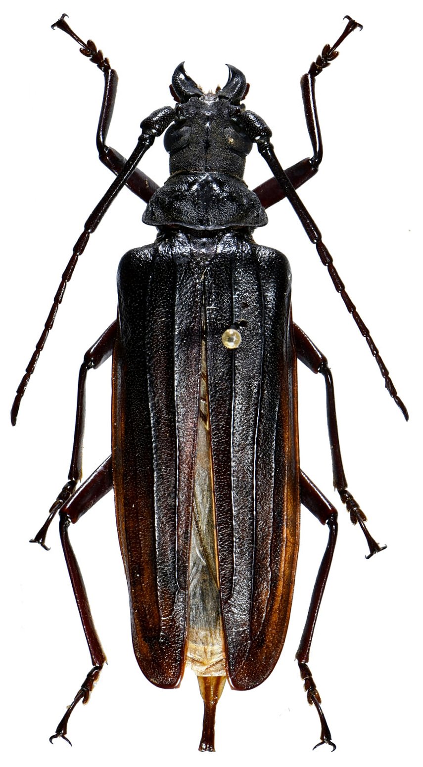
_Drumont_Do_IRSNB_Bi_Doup_Lam_Dong_Vietnam_J_Pirkl_pic5.jpg)
Specimen Type: holotype Sex: m Institution: RBINS Royal Belgian Institute of Natural Sciences, Brussels, Belgium Photographer: J Pirkl Collection Location: Bi Doup, Lam Dong Province, Vietnam 65548
|
_Drumint_Do_IRSNB_Bi_Doup_Lam_Dong_Vietnam_J_Pirkl_pic5.jpg)
Specimen Type: holotype Sex: m Institution: RBINS Royal Belgian Institute of Natural Sciences, Brussels, Belgium Photographer: J Pirkl Collection Location: Bi Doup, Lam Dong Province, Vietnam 65549
|
_Drumont_Do_IRSNB_Bi_Doup_Lam_Dong_Vietnam_J_Pirkl_pic5.jpg)
Specimen Type: holotype Sex: m Institution: RBINS Royal Belgian Institute of Natural Sciences, Brussels, Belgium Photographer: J Pirkl Collection Location: Bi Doup, Lam Dong Province, Vietnam 65550
|
_Drumont_Do_IRSNB_Bi_Doup_Lam_Dong_Vietnam_J_Pirkl_pic5.jpg)
Specimen Type: holotype Sex: m Institution: RBINS Royal Belgian Institute of Natural Sciences, Brussels, Belgium Photographer: J Pirkl Collection Location: Bi Doup, Lam Dong Province, Vietnam 65551
|
_Drumont_Do_Bi_Doup_Lam_Dong_Province_Vietnam.jpg)
Specimen Type: paratype Sex: f Photographer: Alain Drumont Collection Location: Bi Doup, Lam Dong Province, Vietnam 74027
|
_Drumont_Do_Bi_Doup_Lam_Dong_Province_Vietnam.jpg)
Specimen Type: paratype Sex: f Photographer: Alain Drumont Collection Location: Bi Doup, Lam Dong Province, Vietnam 74028
|
 Drumont Do Duy Tan Univ.jpg)
Institution: Duy Tan University Collection Location: Da Nang, Vietnam 76849
|
_Drumont_coll_Do_Xegong_Prov_Laos_NM.jpg)
Sex: m Institution: Drumont Collection Photographer: Noel Mal Collection Location: Xegong Province, Laos 70049
|
_Drumont_coll_Do_Xegong_Prov_Laos_NM.jpg)
Sex: f Institution: Drumont Collection Photographer: Noel Mal Collection Location: Xegong Province, Laos 70050
|
|