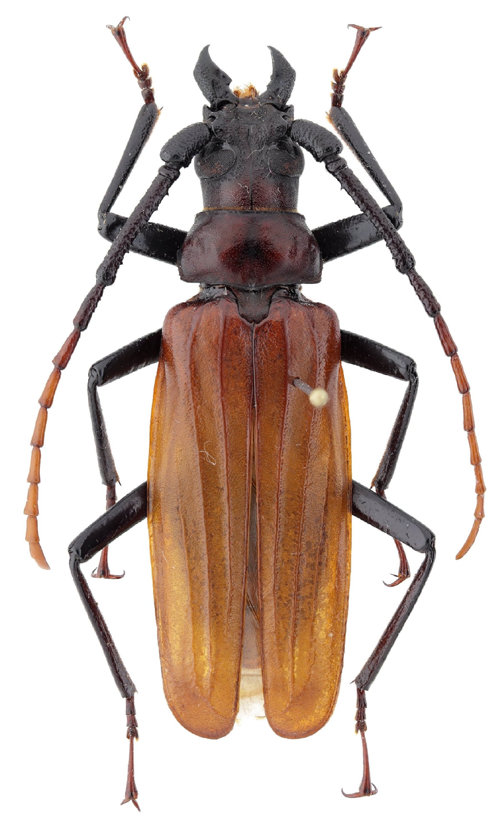
 Drumont Do IRSNB Bato Mtn, Quang Ngai, Vietnam Camille Locatelli2.jpg)
Specimen Type: holotype©IRSNB Sex: m Institution: IRSNB Royal Belgian Institute of Natural Sciences, Brussels, Belgium Photographer: Camille Locatelli Collection Location: Bato Mtn, Quang Ngai, Vietnam 77878
|
 Drumont Do IRSNB Bato Mtn, Quang Ngai, Vietnam Camille Locatelli2.jpg)
Specimen Type: holotype©IRSNB Sex: m Institution: IRSNB Royal Belgian Institute of Natural Sciences, Brussels, Belgium Photographer: Camille Locatelli Collection Location: Bato Mtn, Quang Ngai, Vietnam 77879
|
 Drumont Do IRSNB Bato Mtn, Quang Ngai, Vietnam Camille Locatelli2.jpg)
Specimen Type: holotype©IRSNB Sex: m Institution: IRSNB Royal Belgian Institute of Natural Sciences, Brussels, Belgium Photographer: Camille Locatelli Collection Location: Bato Mtn, Quang Ngai, Vietnam 77880
|
 Drumont Do IRSNB Bato Mtn, Quang Ngai, Vietnam Camille Locatelli2.jpg)
Specimen Type: holotype©IRSNB Sex: m Institution: IRSNB Royal Belgian Institute of Natural Sciences, Brussels, Belgium Photographer: Camille Locatelli Collection Location: Bato Mtn, Quang Ngai, Vietnam 77881
|
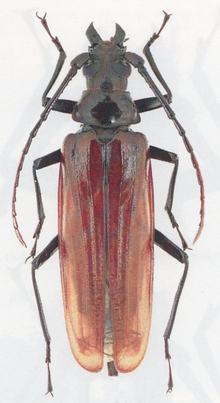
 Drumont coll Do Bato Mtn, Quang Ngai, Vietnam.jpg)
Specimen Type: paratype Sex: f Institution: Drumont Collection Photographer: Alain Drumont Determiner: Les Cahiers Magellanes Collection Location: Bato Mtn, Quang Ngai, Vietnam 81369
|
|