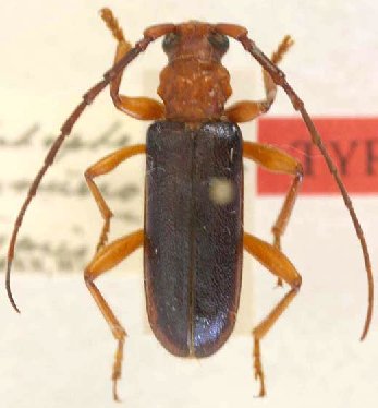
_Tippmann_Brazil_USNM_SWL.jpg)
Dolichopterus rhamnusioides Tippmann Specimen Type: holotype Sex: m Institution: NMNH United States National Museum, Washington, DC, USA Photographer: Steve Lingafelter Collection Location: Mafra, Santa Catarina, Brazil 6724
|
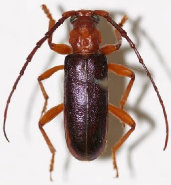
_Tippmann_USNM_=_Tippmannia.jpg)
Dolichopterus rhamnusoides Tippmann Specimen Type: holotype Sex: m Institution: NMNH United States National Museum, Washington, DC, USA Collection Location: Mafra, Santa Catarina, Brazil 25761
|
_Tippmann_USNM_=_Tippmannia.jpg)
Dolichopterus rhamnusoides Tippmann Specimen Type: holotype Sex: m Institution: NMNH United States National Museum, Washington, DC, USA Collection Location: Mafra, Santa Catarina, Brazil 25762
|
|