_Nascimento_SS_MZSP_Piata_Cachoeira_do_Patricio_Bahia_Braz.jpg)
Specimen Type: holotype Sex: m Institution: MZSP Museu de Zoologia da Universidade de São Paulo, Brazil Photographer: Antonio Santos-Silva Collection Location: Piata, Cachoeira do Patricio, Bahia, Brazil 59595
|
_Nascimento_SS_MZSP_Piata_Cachoeira_do_Patricio_Bahia_Braz.jpg)
Specimen Type: holotype Sex: m Institution: MZSP Museu de Zoologia da Universidade de São Paulo, Brazil Photographer: Antonio Santos-Silva Collection Location: Piata, Cachoeira do Patricio, Bahia, Brazil 59596
|
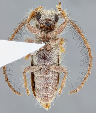
_Nascimento_SS_MZSP_Piata_Cachoeira_do_Patricio_Bahia_Braz.jpg)
Specimen Type: holotype Sex: m Institution: MZSP Museu de Zoologia da Universidade de São Paulo, Brazil Photographer: Antonio Santos-Silva Collection Location: Piata, Cachoeira do Patricio, Bahia, Brazil 59597
|
_Nascimento_SS_MZSP_Piata_Cachoeira_do_Patricio_Bahia_Braz.jpg)
Specimen Type: holotype Sex: m Institution: MZSP Museu de Zoologia da Universidade de São Paulo, Brazil Photographer: Antonio Santos-Silva Collection Location: Piata, Cachoeira do Patricio, Bahia, Brazil 59598
|
|