_Botero_SS_MZSP_Camping_Tambo_Tanda_Pichincha_EC.jpg)
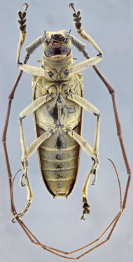
Specimen Type: holotype Sex: m Institution: MZSP Museu de Zoologia da Universidade de São Paulo, Brazil Photographer: Antonio Santos-Silva Collection Location: Camping Tambo, Tanda, Pichincha, Ecuador 59566
|
_Botero_SS_MZSP_Camping_Tambo_Tanda_Pichincha_EC.jpg)
Specimen Type: holotype Sex: m Institution: MZSP Museu de Zoologia da Universidade de São Paulo, Brazil Photographer: Antonio Santos-Silva Collection Location: Camping Tambo, Tanda, Pichincha, Ecuador 59567
|
_Botero_SS_MZSP_Camping_Tambo_Tanda_Pichincha_EC.jpg)
Specimen Type: holotype Sex: m Institution: MZSP Museu de Zoologia da Universidade de São Paulo, Brazil Photographer: Antonio Santos-Silva Collection Location: Camping Tambo, Tanda, Pichincha, Ecuador 59568
|
_Botero_SS_MZSP_Camping_Tambo_Tanda_Pichincha_EC.jpg)
Specimen Type: holotype Sex: m Institution: MZSP Museu de Zoologia da Universidade de São Paulo, Brazil Photographer: Antonio Santos-Silva Collection Location: Camping Tambo, Tanda, Pichincha, Ecuador 59569
|
_Botero_SS_MZSP_Camping_Tambo_Tanda_Pichincha_EC.jpg)
Specimen Type: holotype Sex: m Institution: MZSP Museu de Zoologia da Universidade de São Paulo, Brazil Photographer: Antonio Santos-Silva Collection Location: Camping Tambo, Tanda, Pichincha, Ecuador 59570
|
|