_Wappes_SS_FSCA_nr_San_Lorenzo_Zacapa_Guat2.jpg)
Specimen Type: holotype Sex: f Institution: FSCA Florida State Collection of Arthropods, Gainesville, FL, USA Photographer: Antonio Santos-Silva Collection Location: near San Lorenzo, Zacapa, Guatemala 59557
|
_Wappes_SS_FSCA_nr_San_Lorenzo_Zacapa_Guat2.jpg)
Specimen Type: holotype Sex: f Institution: FSCA Florida State Collection of Arthropods, Gainesville, FL, USA Photographer: Antonio Santos-Silva Collection Location: near San Lorenzo, Zacapa, Guatemala 59558
|
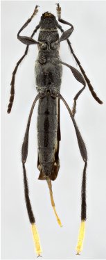
_Wappes_SS_FSCA_nr_San_Lorenzo_Zacapa_Guat2.jpg)
Specimen Type: holotype Sex: f Institution: FSCA Florida State Collection of Arthropods, Gainesville, FL, USA Photographer: Antonio Santos-Silva Collection Location: near San Lorenzo, Zacapa, Guatemala 59559
|
|