_Wappes_SS_FSCA_21km_N_Ixtapa_Guerrero_Mexico2.jpg)
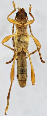
Specimen Type: holotype Sex: m Institution: FSCA Florida State Collection of Arthropods, Gainesville, FL, USA Photographer: Antonio Santos-Silva Collection Location: 21 km N Ixtapa, Guerrero, Mexico 59554
|
_Wappes_SS_FSCA_21km_N_Ixtapa_Guerrero_Mexico2.jpg)
Specimen Type: holotype Sex: m Institution: FSCA Florida State Collection of Arthropods, Gainesville, FL, USA Photographer: Antonio Santos-Silva Collection Location: 21 km N Ixtapa, Guerrero, Mexico 59555
|
_Wappes_SS_FSCA_21km_N_Ixtapa_Guerrero_Mexico2.jpg)
Specimen Type: holotype Sex: m Institution: FSCA Florida State Collection of Arthropods, Gainesville, FL, USA Photographer: Antonio Santos-Silva Collection Location: 21 km N Ixtapa, Guerrero, Mexico 59556
|
|