_Wappes_SS_FSCA_Monteverde_Guanacaste_CR2.jpg)
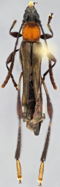
Specimen Type: holotype Sex: f Institution: FSCA Florida State Collection of Arthropods, Gainesville, FL, USA Photographer: Antonio Santos-Silva Collection Location: Monteverde, Guanacaste, Costa Rica 59539
|
_Wappes_SS_FSCA_Monteverde_Guanacaste_CR2.jpg)
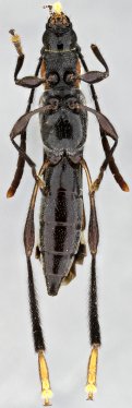
Specimen Type: holotype Sex: f Institution: FSCA Florida State Collection of Arthropods, Gainesville, FL, USA Photographer: Antonio Santos-Silva Collection Location: Monteverde, Guanacaste, Costa Rica 59540
|
_Wappes_SS_FSCA_Monteverde_Guanacaste_CR2.jpg)
Specimen Type: holotype Sex: f Institution: FSCA Florida State Collection of Arthropods, Gainesville, FL, USA Photographer: Antonio Santos-Silva Collection Location: Monteverde, Guanacaste, Costa Rica 59541
|
|