_Wappes_SS_FSCA_25km_SE_Canita_Panama_Panama2.jpg)
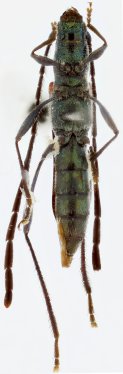
Specimen Type: holotype Sex: f Institution: FSCA Florida State Collection of Arthropods, Gainesville, FL, USA Photographer: Antonio Santos-Silva Collection Location: 25 km SE Canita, Panama, Panama 59533
|
_Wappes_SS_FSCA_25km_SE_Canita_Panama_Panama2.jpg)
Specimen Type: holotype Sex: f Institution: FSCA Florida State Collection of Arthropods, Gainesville, FL, USA Photographer: Antonio Santos-Silva Collection Location: 25 km SE Canita, Panama, Panama 59534
|
_Wappes_SS_FSCA_25km_SE_Canita_Panama_Panama2.jpg)
Specimen Type: holotype Sex: f Institution: FSCA Florida State Collection of Arthropods, Gainesville, FL, USA Photographer: Antonio Santos-Silva Collection Location: 25 km SE Canita, Panama, Panama 59535
|
|