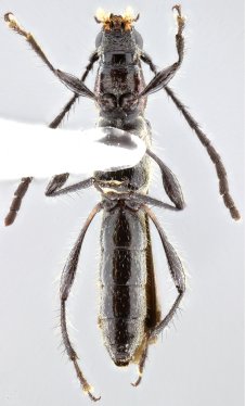
_Bez_SS_CAS_vic_Montecristi_Manabi_Ecuador.jpg)
Specimen Type: holotype Sex: f Institution: CAS California Academy of Sciences, San Francisco, CA, USA Photographer: Antonio Santos-Silva Collection Location: vicinity of Montecristi, Manabi, Ecuador 59510
|
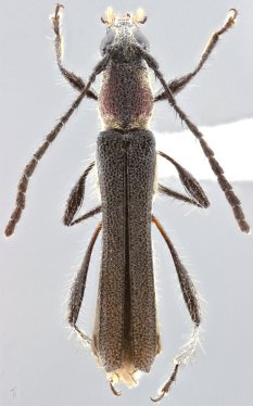
_Bez_SS_CAS_vic_Montecristi_Manabi_Ecuador.jpg)
Specimen Type: holotype Sex: f Institution: CAS California Academy of Sciences, San Francisco, CA, USA Photographer: Antonio Santos-Silva Collection Location: vicinity of Montecristi, Manabi, Ecuador 59511
|
_Bez_SS_CAS_vic_Montecristi_Manabi_Ecuador.jpg)
Specimen Type: holotype Sex: f Institution: CAS California Academy of Sciences, San Francisco, CA, USA Photographer: Antonio Santos-Silva Collection Location: vicinity of Montecristi, Manabi, Ecuador 59512
|
|